PLANNING STATEMENT FOR THE REDEVELOPMENT OF THE FORMER NURSES’ HOME, WESTMORELAND ROAD, DOUGLAS TO PROVIDE RESIDENTIAL (CLASS 3.3), CAFE (1.3) AND TAKE AWAY (1.4)
Executive summary The site is a highly sustainable one within the Island’s primary settlement, on a site that is designated for Mixed Use on the Area Plan for the East which would support this proposal for residential and retail uses. The existing building on the site is not protected by Registered Building or Conservation Area status although it is undoubtedly of architectural if not historic or social interest and the redevelopment of this site has been approached as if the building were Registered. Its retention and re-use is considered to be beneficial to the area generally and the history of the Island. This application proposes to alter the building, adding an additional storey of accommodation but it is demonstrated that this is necessary in order to make the building structurally sound and does not adversely affect the character or interest of the building. Limited car parking is proposed for the building’s new use: however, it is demonstrated that this is acceptable and complies with the Strategic Plan. It is demonstrated that whilst no provision is to be made in this application, for affordable housing and not all of the full complement of Public Open Space as required by the Strategic Plan is to be provided, that this is acceptable in this case.
A low-angle exterior photograph of a large, multi-story brick building featuring a distinctive curved corner section and ground-floor garage-style doors. The building has numerous white-framed windows and is situated next to a sidewalk with a bus shelter.
1.0 Introduction
1.1 The former nurses’ home building sits on Westmoreland Road and Demesne Road. The site accommodates a building which is approximately 70m long and five storeys high excluding the basement and with a principal entrance feature on the Westmoreland Road frontage. The building has been vacant for some time (approximately 5 years). Vehicular access is from Westmoreland Road, to the north west of the building and vehicular exit onto Demesne Road with pedestrian access points also from Westmoreland Road directly in front of the building. Alongside the building to the north west is a car park which is not currently nor never has been for the specific use by those in the building on the application site. To the north east of this is a residential dwelling, 40, Westmoreland Road.
1.2 The building on the site is striking and built in 1953 opposite the former Nobles’ Hospital as accommodation for hospital nurses. The building is flat roofed and finished in light coloured facing brick with a semi circular column of windows serving the hallway on the north western gable of the building and a similar, wider column of windows on the south eastern elevation onto Demesne Road.
1.3 The building originally provided 136 bedsit rooms with community facilities for the occupants and later modified to reduce this to 101 bedsit rooms (probably now referred to as a House in Multiple Occupation (HMO - Class 3.5).
A photograph showing a grassy verge with a stone wall in the foreground and a parking area with cars behind it. Background buildings include a brick house and a structure with a glass roof.A low-angle photograph of a tall brick building featuring a rectangular tower section with a vertical window strip and an adjacent cylindrical brick structure. An external metal staircase is visible on the left, and a paved area with yellow road markings is in the foreground.A street-level photograph showing a large multi-story brick building with a prominent external metal staircase and a new dark grey extension at the base.
1.4 The building is one of, if not the tallest in the area.
1.5 The application site includes all of the site of the nurses’ home curtilage which includes the footprint of the building, a very small part of the existing hard surface to the north west of the small grassed area at the north west of the building, together with the route through the car park to access the site. Those using the car park may also continue to exit the car park along the rear of the building to Demesne Road. Whilst the car park is in the ownership of the applicant, the parking spaces are within it are, it is understood, currently being used in association with other health related facilities across the road, as they were originally approved and are therefore not available for use in association with this development.
1.6 The applicant commissioned ecological reports prior to the submission of the application. These were undertaken by the Manx Wildlife Trust Consultancy Services: one focuses particularly on protected species and the other includes the wider area as well as the site itself. They identify possible constraints to development in the form of the potential use of the existing flat roof by nesting birds and potential future use of interior niches by roosting bats. It accepts that the surveys were not undertaken whilst bats were active nor when birds are nesting.
1.7 No evidence of use of internal niches by bats was found. Only half of the roof and none of the basement was accessible and so it recommended that precautions are taken in respect of the half which could not be inspected.
1.8 No evidence was found that the building is being used by bats or birds although there were spaces which were inaccessible. They recommend the closing of the windows in advance of the bird nesting season (which has been done) and secured prior to the active season for bats which is later in the year. They recommend that all works are undertaken outside of the active bat season and that niches are inspected prior to work commencing. Recommendations are made in respect of biodiversity enhancement.
1.9 The applicant also undertook pre-application enquiries with the Highway Services Division of Department for Infrastructure and Department of Environment, Food and Agriculture’s Planning Office (Principal Planner and Principal Registered Buildings Officer), Department for Infrastructure’s Housing Division, Douglas Borough Council, Manx National Heritage, Isle of Man Fire and Rescue Service and have worked closely with Department for Enterprise throughout the formulation of the application and the evolution of the scheme.
2.0 The proposal
2.1 Proposed is the refurbishment, extension and conversion of the existing building to accommodate 37 units of residential accommodation: a combination of seventeen 2 bed and twenty 1 bed apartments, retail use on the ground floor in the form of a cafe and communal space for its occupants together with accessible parking spaces for users of both the apartments and the cafe and external amenity space and bicycle storage securely within the building. It is intended that the building will achieve a BREEAM 2014 Residential Refurbishment Assessment rating of Very Good with “high quality design and specification”.
2.2 The building as it currently stands is not in good structural condition: a Structural Report is provided with the application. Some repairs have been undertaken, some elements are missing and the scheme intends replicating or reinstating them where possible and practicable. Windows are not all the same and the building has different levels on each side of the central tower with one side having a much smaller parapet than the other. Windows have been replaced but not particularly well.
2.3 Originally the rooms were single occupancy with communal bath and shower facilities on the eastern side of the building, entertainment room on the ground floor which was converted to a hydrotherapy facility which has since been infilled. Foundation wise there are heating trenches running along the whole length of the building and there is a large plant space in the centre of the building which could be used for sprinkler tanks. The building has good service space. The second, third and fourth floors repeat the layout of the one below. The eastern staircase is narrow but retains the original windows which the applicant would like to retain and refurbish. There is a roof terrace above the entertainment area although access to this area has been closed up: the applicant would like to reopen this access.
2.4 Historically the rooms were enlarged and interconnected. Some of the details on the original plans on the elevations do not seem to have been implemented or have been changed - eg flagpole, double entrance doors and the application seeks to reinstate these where practicable. The rear of the tower showed glass blocks but now has uPVC framed windows. At the rear there is a tangle of svp pipework and a later escape staircase.
2.5 There are structural issues with cills and lintels, lost features and the brickwork needs cleaning. There is water ingress around window where coloured concrete toes are failing. There is strapping around the building. There is some nice brick detailing around most of the windows, heather engineering brick introduced around some entrances and some protruding brick details particularly on the entertainment block typical of Art Deco buildings of this era although it is unusual that the building had no balconies, perhaps due to its intended use.
2.6 Internally, there is not a great deal of Art Deco furniture or detailing although the application aims to keep any originals. The narrow staircase presents issues for the Building Regulations.
2.7 The building is moving vertically and horizontally with no movement joints in the building (there needs to be a horizontal movement joint introduced involving the removal of the fifth level and reinstatement and there is cracking within the building and some shoring has already been undertaken with significant strapping around the clock tower and remedial brickwork installed and the loss of the concrete lid above the clock. Water ingress is a major problem including the roof.
2.8 Views even from the first floor are spectacular with glimpses of the sea from the upper levels and the building is light and airy inside. The building has considerable potential for a high quality living environment for its occupants.
2.9 It is proposed to refurbish the building, incorporating cleaning, reinstating many of the lost features and introduction of a new lightweight floor on the top of the building with the introduction of larger windows on the Westmoreland Road elevation, the replacement of the small bathroom windows on the far right hand side of the principal elevation and reinstatement of the clock tower as it was originally designed. There are currently steps on all but one of the entrances so accessibility is an issue.
2.10 Full details of the scheme are shown in the submitted drawings and more details are provided in the Design and Access Statement provided by the scheme’s architects, Ellis Williams.
2.11 In terms of parking, the site has limited parking available to it, parking spaces being limited to space immediately behind the building, on the through access to Demesne Road and in front of the building where turning and manoeuvring space is limited. The ability for the development to have the full complement of parking required in the Strategic Plan is not physically possible within the site and whilst there is on street parking on the various roads abutting the site, the use of these spaces, during the daytime is generally limited to two hours and are, in the main, fully utilised.
2.12 In recognition of this, but also to support the Government’s strategy to promote active travel, the scheme has been designed to provide only spaces for those who would need to be able to park close to the building, both users of the cafe and the residential accommodation and as such, there are to be 4 accessible spaces provided - two for the cafe, using the small area of grass at the north west of the building, and 2 for the apartments at the other end of the site, closer to the exit onto Demesne Road.
2.13 Access will remain as it currently exists - vehicular traffic entering the site from Westmoreland Road through the car park and passing behind the existing building and out onto Demesne Road.
2.14 In support of active travel, the scheme includes secure bicycle storage in the basement: 54 cycle spaces will be provided for residents and 4 for the staff in the commercial unit, including facilities for electric bicycle charging along with 6 Sheffield type cycle hoops at ground level outside the building for the commercial facility. 2 ev charging facilities will also be provided along with 5 motorcycle bays.
2.15 The scheme will introduce new landscaping in front of the building where there is currently hard surfacing and vehicular access albeit very limited turning space. This landscaped space will be a new place for residents to sit outside.
2.16 Following the advice of the Manx Wildlife Trust, the building will incorporate bird, bat and bee habitat in the form of 1No. 1SP Schwegler Sparrow Terrace located 3m above ground level fixed to surface of existing brickwork with entrance facing North East, 1 No. WoodStone Swift Nest Box (Manufacturer CJ Wildlife) surface mounted to building sited under the shelter of eaves or overhanging roof, facing North East, 2No. Bat Block (Manufacturer Green & Blue) built into new brickwork. Once installed, the front of the Bat Block is designed to sit flush with the outside bricks of a build, with the entrance slightly protruding; one box as a summer maternity roost facing South west and one winter hibernation roost facing North; 3No. Bee bricks (Manufacturer Green & Blue) retro fitted into existing brickwork, facing south west at a minimum height of 1m adjacent to pollinator plants.
3.0 Planning status
3.1 The site lies within an area designated on the Area Plan for the East (2020) as Mixed Use which also includes the residential properties to the north east, the Jane Crookall former maternity hospital and the industrial units fronting or accessed from Demesne Road.
3.2 The land immediately to the north east is Open Space (tennis courts and bowling green); that to the south east and north is Residential and the land directly opposite is designated as Buildings or Land for Civic, Cultural or Other Uses (Primary School in part (the Henry Bloom Noble Primary School and health for the remainder in the remaining elements of the former Noble’s Hospital which still accommodates health services including a dental surgery, health centre, blood donor service as well as the Government Laboratory).
3.3 There are a number of areas designated as Mixed Use in the Area Plan, some having specific development briefs and guidance and others, including this, no specific guidance other than the general statements in the Plan. Despite having a reference number, DH001g, the only reference in the Written Statement to this is its inclusion in the residential land provision with an indication that it could notionally provide 39 units of accommodation.
3.4 Other general statements referring to Mixed Use, in the Written Statement are as follows:
Mixed Use Proposal 9 In areas shown as Mixed Use outside of Douglas Town Centre, there will be a presumption to retain any existing open space, sports and recreation facilities which serve as assets for the community.
There is none of these facilities on the site which need to be preserved. 9.11 Development in areas of ‘mixed use’
9.11.1 There are a number of areas of ‘mixed use’ outside of Douglas town centre. Some are identified by a site number on the Maps and others are not, for instance Village Walk in Onchan does not have a site number.
A colored zoning map displaying land use designations and property boundaries, highlighting the application site in purple.
9.11.2 Development types within areas of mixed use generally comprise a variety of different but compatible uses. Appropriate new uses may include a mix of shops and some services (financial and professional), food and drink, office and light industry, research and development, tourist and residential uses, and other uses such as clinics or health centres, childcare or education, community facilities, and places of assembly and leisure. Uses which are not compatible with residential development will generally not be supported within the areas of mixed use.
3.5 The site is shown as having a small area at risk of surface water flooding on the National Flood Risk maps, just to the rear of the main building, near the access onto Demesne Road. It is not considered that this warrants the provision of a full Flood Risk Assessment in this case although one has been undertaken and is provided as part of the application. This concludes that the site is positively drained and there is no adverse flood risk from the development.
3.6 The site is not within an adopted or proposed Conservation Area, the closest being the south western edge of the Woodbourne Road CA which is over 100m away and separated from the site by low quality industrial buildings, the former Jane Crookall Maternity Home and former Ballacloan Primary School site. The building is not Registered although of architectural, historic and social interest and the project has been approached as if the building were Registered and as if it could be considered of Registrable quality on completion.
3.7 There are some small scale trees on the site: none is Registered.
3.8 There are no Environment, Infrastructure or Community Constraints applicable to the site according to the maps associated with the Area Plan.
3.9 The Mixed Use designation of the site enables it to be considered suitable for the development of the site for a mix of shops and some services (financial and professional), food and drink, office and light industry, research and development, tourist and residential uses, and other uses such as clinics or health centres, childcare or education, community facilities, and places of assembly and leisure provided that the development is compatible with residential use. The inclusion of it in the Residential
A site location map showing the application area highlighted in purple along Westmorland Road and surrounding streets.
Land Provision table 19 in the Written Statement would suggest that it is suitable for residential although it is not clear whether this is solely the existing building or includes the land alongside.
Policies with which development is considered to comply
3.10 The location of the site close to the town centre, opposite a number of key facilities (health and education) should enable it to be considered as highly sustainable and be considered to satisfy the Strategic Plan policies given in Appendix One, notably Strategic Aim, Strategic Policies 2, 6, 7 and 9, Spatial Policy 1, Housing Policies 4 and 6, Transport Policy 1. Other policies with which the development should comply
3.11 Development should comply with the following Strategic Plan policies which discuss design and quality:
Strategic Policy 3: Proposals for development must ensure that the individual character of our towns and villages is protected or enhanced by:
(a) avoiding coalescence and maintaining adequate physical separation between settlements; and
(b) having regard in the design of new development to the use of local materials and character.
Strategic Policy 5: New development, including individual buildings, should be designed so as to make a positive contribution to the environment of the Island. In appropriate cases the Department will require planning applications to be supported by a Design Statement which will be required to take account of the Strategic Aim and Policies.
Environment Policy 42: New development in existing settlements must be designed to take account of the particular character and identity, in terms of buildings and landscape features of the immediate locality. Inappropriate backland development, and the removal of open or green spaces which contribute to the visual amenity and sense of place of a particular area will not be permitted. Those open or green spaces which are to be preserved will be identified in Area Plans.
3.12 The Residential Design Guidance also has useful information in design and how the impact on adjacent properties is assessed. In this case, the only residential property considered to be affected is 40, Westmoreland Road, pictured below left and whose outlook from the windows closest to the site is shown below right.
This is a photograph of a large, two-story building with a tiled roof and chimneys, likely the existing nurses' home. Several cars are parked in front of a wooden fence in the foreground against a blue sky.A photograph showing a paved car park with several parked vehicles, a grass verge with an orange cone in the foreground, and various buildings in the background under a cloudy sky.
3.13 Development is generally required to demonstrate that it has been designed with regard to highway safety, sustainable transport and car parking in accordance with Strategic Policy 10, Transport Policies 2, 4, 6 and 7 and Appendix Seven which states that the standards for new housing is generally two spaces per dwelling or one space per one bedroomed apartment and two for two beds and above: for town centre shops space must be available for service vehicle use and neighbourhood shops should have spaces for staff customers and service vehicles. The site falls some way between town centre and neighbourhood shop. It clarifies in terms of car parking that :
In the case of town centre and previously developed sites, the Department will consider reducing this requirement having regard to:
(a) the location of the housing relative to public transport, employment, and public amenities;
(b) the size of the dwelling;
(c) any restriction on the nature of the occupancy (such as sheltered housing); and
(d) the impact on the character and appearance of the surrounding area.
Where new dwellings are created by the conversion of existing buildings, parking space should be formed by the clearance of outbuildings and low-grade annexes or “outlets” if it is reasonable and practicable so to do; however, in general, the need to find a use for redundant buildings which are in sound condition will outweigh the drawback of any shortfall in parking provision.
and These standards may be relaxed where development:
(a) would secure the re-use of a Registered Building or a building of architectural or historic interest; or
(b) would result in the preservation of a sensitive streetscape; or
(c) is otherwise of benefit to the character of a Conservation Area.
(d) is within a reasonable distance of an existing or proposed bus route and it can be demonstrated a reduced level of parking will not result in unacceptable on street parking in the locality.
3.14 Transport Policy 8 states that The Department will require all applications for major development to be accompanied by a Transport Assessment. We have consulted the Highway Services Division of Department for Infrastructure prior to the making of the application and they did not advise that a Transport Assessment was required although they encouraged the provision of information to demonstrate that any deficit in car parking provision is justified together with the provision of accessible parking and sufficient bicycle storage in a safe and convenient format.
3.15 The Strategic Plan sets out general standards of development which should be complied with in all cases:
General Policy 2: Development which is in accordance with the land-use zoning and proposals in the appropriate Area Plan and with other policies of this Strategic Plan will normally be permitted, provided that the development:
(a) is in accordance with the design brief in the Area Plan where there is such a brief;
(b) respects the site and surroundings in terms of the siting, layout, scale, form, design and landscaping of buildings and the spaces around them;
(c) does not affect adversely the character of the surrounding landscape or townscape;
(d) does not adversely affect the protected wildlife or locally important habitats on the site or adjacent land, including water courses;
(e) does not affect adversely public views of the sea;
(f) incorporates where possible existing topography and landscape features, particularly trees and sod banks;
(g) does not affect adversely the amenity of local residents or the character of the locality;
(h) provides satisfactory amenity standards in itself, including where appropriate safe and convenient access for all highway users, together with adequate parking, servicing and manoeuvring space;
(i) does not have an unacceptable effect on road safety or traffic flows on the local highways;
(j) can be provided with all necessary services;
(k) does not prejudice the use or development of adjoining land in accordance with the appropriate Area Plan;
(l) is not on contaminated land or subject to unreasonable risk of erosion or flooding;
(m) takes account of community and personal safety and security in the design of buildings and the spaces around them; and
(n) is designed having due regard to best practice in reducing energy consumption.
3.16 Flood risk is identified as a potential issue in Environment Policies 10 and 13 although in this case the risk appears to be small and low and a FRA is provided.
3.17 The Strategic Plan and Area Plan for the East require affordable housing to be provided in any new residential development.
Housing Policy 5: In granting planning permission on land zoned for residential development or in predominantly residential areas the Department will normally require that 25% of provision should be made up of affordable housing. This policy will apply to developments of 8 dwellings or more.
3.18 Public Open Space is also expected to be delivered in association with any new residential development:
Recreation Policy 3: Where appropriate, new development should include the provision of landscaped amenity areas as an integral part of the design. New residential development of ten or more dwellings must make provision for recreational and amenity space in accordance with the standards specified in Appendix 6 to the Plan.
3.19 Whilst more a matter for the Building Regulations, and the applicant has already been in consultation with the Isle of Man Fire and Rescue Service: fire safety is referred to in the Strategic Plan as follows:
Community Policy 11: The design and use of all new buildings and of extensions to existing buildings must, as far as is reasonable and practicable, pay due regard to best practice such as to prevent the outbreak and spread of fire.
3.20 Energy efficiency and sustainable building is becoming more important in the consideration of development proposals and the intended SAP rating for the buildings is provided in the application. The Strategic Plan already refers to it here:
Energy Policy 5: The Department will prepare a Planning Policy Statement on Energy Efficiency. Pending the preparation and adoption of that PPS the Department will require proposals for more than 5 dwellings or 100 square metres of other development to be accompanied be an Energy Impact Assessment.
3.22 The Department’s recently amended guidance on the submission of applications includes the following:
Sustainable Construction In light of the above, it is helpful to consider at the planning stage any specific design choices or approaches that are necessary to achieve the relevant SAP score. Such considerations can be detailed in design statements or other supporting information as they may be relevant for explaining how a development complies with requirements for energy efficiency (Strategic Plan General Policy 2(n) or, for larger developments, the Energy Impact Assessment (Strategic Plan Energy Policy 5). Section 2 of the Residential Design Guide gives more information in relation to Energy Impact Assessments and also wider elements of Sustainable Construction.
3.23 The application includes an Energy Statement which explains that the multi storey nature of the building helps reduce the ratio of eternal surfaces to mass, meaning more heat will automatically be better retained and that the inclusion of signifiant glazing results in access to daylight is good without overlooking. It clarifies that before improvements, the building’s accommodation is 63D rated and after they are 72C with the tonnes per annum emissions reduced from 3.62 to 2.39, a saving of 1.24 tonnes per annum. It explains that the new addition will incorporated relatively low U values to reduce the rate at which the building loses heat and reducing the requirement for mechanical heating. The new flats will achieve SAP ratings of at least 88.
3.24 Development is expected not to have any adverse impact on ecology (General Policy 2 and Environment Policy 4) and more recently, it is encouraged that development proposals demonstrate that they will achieve biodiversity net gain and certainly no net loss of biodiversity value of the site (the Residential Design Guidance). Details of the ecological enhancement features are described above and are shown in the submitted plans.
4.0 Planning history
4.1 The car park to the north west of the building was created following the approval of 87/01322/B. The officer reporting on the application described the facility as serving “the hospital campus” and was not specifically associated with the nurses’ home and there were no conditions to restrict it to that. As a proportion of the overall hospital campus at the time, the nurses’ home would have been relatively modest. The application proposed entrance from Westmoreland Road and exit onto Demesne Road.
4.2 This approval also created parking spaces to the rear of 40, Westmoreland Road and took away part of the side garden of this property to allow for a new access to be created into the site from Westmoreland Road. As a result, this property has a bay window which is very close to the boundary of the car park and there is currently a fence along this boundary.
A black and white site plan showing the layout of the Noris Hospital Nurses' Home site on Westmoreland Road, detailing a proposed parking area with numbered bays and access routes.A black and white architectural site plan showing the layout of a property on Nimhillard Road with building footprints and road access.A photograph of a large, two-story residential building with pebbledash walls and a tiled roof. Several cars are parked in front of a wooden fence with a planning application notice attached.
4.3 A boiler plant was added under 91/01900/B.
4.4 40, Westmoreland Road has not been the subject of any recent (post 1984) applications.
4.5 The application for the redevelopment of the hospital site as a primary school, 14/00581/B included the car park site only to include space for highway improvements:
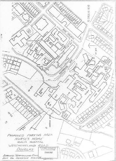
A site plan showing a proposed development site outlined in red, labeled 'Proposed Very Short Aisle Primary School', situated near Hutchinson Road with surrounding residential buildings.This image displays a site layout plan showing the proposed development of 37 apartments and a cafe on the site of a former nurses' home. It details the highway access points on West Mooreland Road, parking arrangements, and landscaping features.
4.6 However this was not included in the proposed site plan. The highway improvements included the re-arrangement of the car park alongside the nurses’ home to allow better visibility across the car park for users of Westmoreland Road. One of the conditions of the approval was that six parking spaces within the upper car park may be used by the adjacent Community Health Centre. The car park across the road is not referred to by the inspector at all.
4.7 The layout of the car park alongside the nurses’ home has been partly rearranged partly along the lines of what was shown in that drawing, although there are still two parking spaces directly to the north west of the nurses’ home building which are demarcated and used and there is no through route directly from Westmoreland Road to the route at the rear of the nurses’ home building: the majority of the spaces the centre of the car park are still as shown in the original 1987 application. The two spaces alongside the nurses’ home were not shown in the original application for the car park or the later application for the school.
4.8 This application proposes to utilise the green space alongside the two demarcated parking spaces for the creation of two accessible spaces, resulting in the loss of these two spaces shown above, which were not shown on the original car park application nor the rearranged car parking layout approved as part of the primary school development.
A photograph showing a paved parking area with several cars parked in rows, featuring a brick wall in the foreground and commercial-style buildings in the background.A photograph of a tall brick building with a modern dark grey extension featuring balconies. Cars are parked in a lot in the foreground under a cloudy sky.
5.0 Assessment Planning policy for use (Area Plan for the East)
5.1 The proposed use of the building as residential and commercial (cafe with take away) complies with the land use designation on the Area Plan for the East. In addition, it will regenerate a building which has considerable historic, architectural and social interest to the Island, a building which retains a significant part of its original interest and with great potential for enhancing its interest and appearance through the establishment of those features which have been lost. Appearance (General Policy 2b, c and g of the Strategic Plan)
5.2 The structural condition of the building is such that the fifth floor needs to be completely replaced and the fourth floor facades also replaced to introduce horizontal movement joints within the building to address and stabilise structural movement which is leading to serious cracking at high levels.
5.3 As this work needs to be done to make the building usable the opportunity is being taken to create an additional floor of accommodation at the highest level to help offset the cost of the remedial and structural works. This will be a lightweight addition which is set back from the rest of the building below and which will visually add little to the mass and impact of the building.
5.4 Internally, original features which can be retained and re-used, will be, such as handrails, original doors and handles. The damaging glazing to the curved Crittal windows will be reinstated and inappropriate modern intrusions including the steel open fire escape, uPVC windows, superfluous soil vent pipes and drainage routes will be removed and replaced where appropriate and necessary.
5.5 It is considered that the physical changes to the building will result in its enhancement, reinvigoration and provide the opportunity for a new use which will result not only in its restoration but its continued maintenance and upkeep.
Car parking and accessibility (General Policy 2h and i and Transport Policy 7, Appendix Seven)
5.6 The development will be providing 2 accessible parking spaces adjacent to the building using a small patch of sloping grass. Whilst this area is identified in a wider ecological report as amenity grassland, its value to invertebrates and foraging birds and bats is considered limited due to the small size of the grass patches. These parking spaces will be accessible spaces to serve the cafe. 2 additional accessible spaces are to be provided at the other end of the site to serve the apartments along with 2 ev charging points and 5 motorcycle bays. The development will include the provision of bicycle parking in the basement in accordance with the BREEAM standards (one per bedroom) plus bicycle parking for staff and some for customers.
5.7 The Strategic Plan requires that a parking standard of one space per one bedroomed apartment and two spaces for larger apartments should be provided together with servicing space for the cafe. These standards may be flexibly applied however where the development
(a) would secure the re-use of a Registered Building or a building of architectural or historic interest; or
(b) would result in the preservation of a sensitive streetscape; or
(c) is otherwise of benefit to the character of a Conservation Area.
(d) is within a reasonable distance of an existing or proposed bus route and it can be demonstrated a reduced level of parking will not result in unacceptable on street parking in the locality.
5.8 In this case, the building is of historic and architectural interest and presently has no parking associated with it, the car park not originally having been approved for specific use by occupants of this building and subsequent to this, the car park having been and is currently used by other adjacent land users.
5.9 The refurbishment scheme will reduce the overall number of units of accommodation within the building to 37 - 20 single bed and 17 two bed units resulting in a total of 54 parking spaces applying the Strategic Plan parking standard in its entirety.
5.10 It is the applicant’s intention that the accommodation be provided for people who don’t currently live on the Island and who would use the accommodation on varying lengths of short stay either whilst they are here on business or for contracted working or whilst they find more permanent accommodation. It is notable that in the local press it has been reported that the Island’s younger population are moving off Island or not returning after having left in pursuit of further education elsewhere, due to unaffordable housing here on the Island. This scheme could provide accommodation to help with this.
5.11 As such, it is not envisaged that the potential occupants would necessarily have, want or need their own vehicle. However, the planning process cannot generally control the occupants of a building or whether they have their own vehicles but the Strategic Plan makes it clear that exceptions may be made in certain circumstances. As stated above, the building is of historic and architectural interest and it would be counter-intuitive for the scheme to seek to try to introduce additional parking through either trying to achieve vehicular access to the building itself, or losing further areas of landscaping when the intention is to restore the character and appearance of the building, which original had no on site car parking.
5.12 The site is highly sustainable, within ten minutes’ walk of the Island’s main shopping and employment area. A bus stop is directly in front of the site with stops on the other side of the road and these serve the 4B and 13 routes to Peel and the west with access to the rest of the Island’s bus services within a ten minute walk to the Lord Street bus station. Affordable Housing (Housing Policy 5)
5.13 The scheme will result in a reduction in the number of units within the building so arguably should not be required to provide affordable housing in accordance with this policy which requires such provision where 8 or more units are being created - a total of 9.25 affordable units.
5.14 37 units in total are proposed and these are not being provided for sale: the financial model for these scheme only works if the units are retained and rented out giving a projected income over a more prolonged period than for an initial financial gain from sale of the units. Financially the inclusion of affordable housing on this scheme would not result in sufficient funds for the scheme to be financially viable. The scheme involves the retention of a building of significant Island value historically, architecturally and socially and the scheme aims to restore its original architectural interest, some of which has been lost through historic intervention. The result of this care and attention to detail, together with addressing the structural and condition deficiencies results in a much higher development cost than would be the case if the existing building were proposed to be demolished and rebuilt.
5.15 The applicant is considering future development which will result in the creation of additional residential units where the provision of affordable housing may be more economically viable and is fully prepared to mitigate the lack of affordable housing in this case by provision of it in future
developments in the immediate vicinity although we are fully aware that this cannot be required by condition as the details of that provision is not know and cannot be assured at this time.
Public Open Space (Recreation Policy 3)
5.16 The Strategic Plan requires that public open space is provided in developments of ten units or more. The standards are there to ensure that residents have access to an acceptable environment. The POS standards require three types of space - amenity, children’s play and formal recreation space.
5.17 This redevelopment would result in a requirement for 1,152 sq m of formal open space, 512 sq m of amenity space and 384 sq m of children’s play space. The site is not large enough on its own to provide this although the amount of amenity space to be provided on site is to be increased through the introduction of approximately 158 sq m of landscaping along the frontage of the site where there is currently hard surfacing and vehicular access although vehicles using it cannot easily turn to enter and exit in a forward gear. The nett addition is 100 sq m when the new accessible spaces to the north west of the building on the current grassed area is taken into account.
5.18 In this case the number of units within the property is being reduced. It is unlikely that the units will be occupied by persons with children and in any case, there is a well equipped and well-used children’s playground within 160m of the site, on the corner of Tynwald Street and Westmoreland Road. There are also tennis courts and a bowling green very close by and the national swimming pool and sports centre and the sports facilities at Ballakermeen High School only streets away and those at the primary school right opposite on the south western side of Westmoreland Road closer still and there is good access to Douglas beach and the Heritage Trail public footpath.
5.19 As stated above, the scheme involves the re-use of a building of historic, architectural and social interest and there is an associated financial cost of retaining rather than replacing this building. If a commuted sum were required for the provision of off-site Public Open Space it is not clear where this investment would be spent and any additional costs to the project would undermine the financial viability of it, potentially making it unviable in its present form and endangering the potential for the existing building to be retained. Biodiversity
5.20 The Ecological Report recommends the installation of integrated bat boxes at eaves level with lighting directed away from them, the planting of native, nectar rich woody species around the exterior of the property and on the flat roof, the installation of a range of nest boxes suitable for swift and house sparrow particularly, the creation of a green roof and/or green walls, the installation of bee bricks on a south facing aspect at least 1m above ground level, near a source of pollen and the use of tinted or non-reflective glass in windows to prevent bird collisions. The development proposes the installation of:
• 1No. 1SP Schwegler Sparrow Terrace located 3m above ground level fixed to surface of existing brickwork with entrance facing North East.
• 1 No. WoodStone Swift Nest Box (Manufacturer CJ Wildlife) surface mounted to building sited under the shelter of eaves or overhanging roof, facing North East.
• 2No. Bat Block (Manufacturer Green & Blue) built into new brickwork. Once installed, the front of the Bat Block is designed to sit flush with the outside bricks of a build, with the entrance slightly protruding. One box as a summer maternity roost facing South west and one winter hibernation roost facing North
• 3No. Bee bricks (Manufacturer Green & Blue) retro fitted into existing brickwork, facing south westat a minimum height of 1m adjacent to pollinator plants.
Conclusion 6.1 It is considered that the proposal will result in the re-use of a building of historic, architectural and social interest for purposes which will go towards satisfying a national housing need and in a manner which enhances the building and brings new life to a prominent and important building, currently in poor repair and in a sustainable location. The scheme will enhance the landscaping and biodiversity value of the site, will provide adequate car parking and include facilities which will encourage active travel. The scheme results in positive brownfield redevelopment, within the Island’s primary settlement, close to amenities, employment and within short distances of established recreational facilities. It also significantly reduces the number of people who could permanently occupy the building, even including the additional floor, from up to 136 occupants in the original bedsit layout to a maximum of 108 (20 single bedroom - max occupancy of 40 and 17 two bedroom, max occupancy 68), supporting the amount of parking, Public Open Space and affordable housing being provided on the site.
Sarah Corlett 02.03.2022
Appendix One - Strategic Plan planning policies
Strategic Policy 1: Development should make the best use of resources by:
(a) optimising the use of previously developed land, redundant buildings, unused and under-used land and buildings, and reusing scarce indigenous building materials;
(b) ensuring efficient use of sites, taking into account the needs for access, landscaping, open space and amenity standards; and
(c) being located so as to utilise existing and planned infrastructure, facilities and services.
Strategic Policy 2: New development will be located primarily within our existing towns and villages, or, where appropriate, in sustainable urban extensions(2) of these towns and villages. Development will be permitted in the countryside only in the exceptional circumstances identified in paragraph 6.3.
Strategic Policy 7: Undeveloped land which is zoned in Local or Area Plans for industrial, office, or retail purposes will be retained and protected for such uses, except where those uses would be inappropriate or incompatible with adjoining uses.
Strategic Policy 9: All new retail development (excepting neighbourhood shops and those instances identified in Business Policy 5) and all new office development (excepting corporate headquarters suitable for a business park(1) location) must be sited within the town and village centres on land zoned for these purposes in Area Plans, whilst taking into consideration Business Policies 7 and 8.
Strategic Policy 10: New development should be located and designed such as to promote a more integrated transport network with the aim to:
(a) minimise journeys, especially by private car;
(b) make best use of public transport;
(c) not adversely affect highway safety for all users, and
(d) encourage pedestrian movement
Spatial Policy 1: The Douglas urban area will remain the main employment and services centre for the Island.
Environment Policy 43: The Department will generally support proposals which seek to regenerate run-down urban and rural areas. Such proposals will normally be set in the context of regeneration strategies identified in the associated Area Plans. The Department will encourage the re-use of sound built fabric, rather than its demolition.
Housing Policy 4: New housing will be located primarily within our existing towns and villages, or, where appropriate, in sustainable urban extensions(1) of these towns and villages where identified in adopted Area Plans: otherwise new housing will be permitted in the countryside only in the following exceptional circumstances: (a) essential housing for agricultural workers in accordance with Housing Policies 7, 8, 9 and 10; (b) conversion of redundant rural buildings in accordance with Housing Policy 11; and (c) the replacement of existing rural dwellings and abandoned dwellings in accordance with Housing Policies 12, 13 and 14.
Housing Policy 5: In granting planning permission on land zoned for residential development or in predominantly residential areas the Department will normally require that 25% of provision should be made up of affordable housing. This policy will apply to developments of 8 dwellings or more.
Housing Policy 6: Development of land which is zoned for residential development must be undertaken in accordance with the brief in the relevant area plan, or, in the absence of a brief, in accordance with the criteria in paragraph 6.2 of this Plan. Briefs will encourage good and innovative design, and will not be needlessly prescriptive.
Transport Policy 1: New development should, where possible, be located close to existing public transport facilities and routes, including pedestrian, cycle and rail routes.
Transport Policy 2: The layout of development should, where appropriate, make provision for new bus, pedestrian and cycle routes, including linking into existing systems.
Transport Policy 4: The new and existing highways which serve any new development must be designed so as to be capable of accommodating the vehicle and pedestrian journeys generated by that development in a safe and appropriate manner, and in accordance with the environmental objectives of this plan.
Transport Policy 6: In the design of new development and transport facilities the needs of pedestrians will be given similar weight to the needs of other road users.
Transport Policy 7: The Department will require that in all new development, parking provision must be in accordance with the Department’s current standards.
Recreation Policy 3: Where appropriate, new development should include the provision of landscaped amenity areas as an integral part of the design. New residential development of ten or more dwellings must make provision for recreational and amenity space in accordance with the standards specified in Appendix 6 to the Plan.
Copyright in submitted documents remains with their authors. Request removal