Loading document...
Proposal: Appeal against the erection of stables and agricultural building, creation of hardstanding (part retrospective) and creation of pond (retrospective)
Planning Ref: 24/91021/B
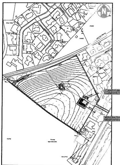
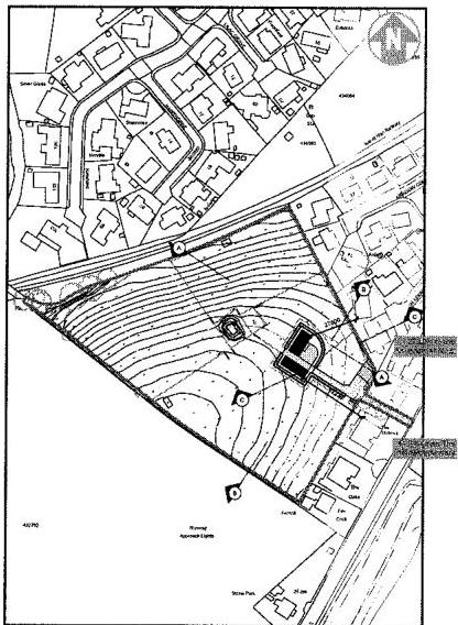
Address: Field 434087, Douglas Road, Ballasalla, Isle of Man, IM9 2AN
1.1 This Statement of Case is submitted in support of the appeal lodged by Redacted against the granting of planning permission 24/91021/B for the construction of a stable block and barn on Field 434087, Douglas Road, Ballasalla.
1.2 The case outlines significant procedural errors, inaccuracies in the planning officer’s report, and failure to properly consider objections, all of which call into question the fairness and legality of the decision-making process.
2.1.1 A formal objection to the application was submitted on 15th December 2024. However, this objection was not published on the Planning Department’s website until Wednesday 8th January 2025, three working days prior to the Planning Committee meeting on Monday 13th January 2025.
2.1.2 This delay materially prejudiced objectors, as it significantly reduced the time available for committee members and the public to review the detailed concerns raised regarding the development.
2.1.3 The Planning Applications Database (https://pbc.gov.im/online-applications/applicationDetails.do?activeTab=documents&keyVal=SJ6H1IIPMAY00) shows the official timeline of documents uploaded to the portal, which verifies this failure. Please see the Witness Statement of Redacted and Exhibit B for a copy of the webpage.
2.1.4 As set out in the witness statement of Redacted Redacted
contacted the planning officer, Vanessa Porter, on 8th January 2025 to report that the 15th December 2024 objection had not been published on the Planning Department’s website. The planning officer apologized, stating that the document was "on her desk," and it was only after this call that the objection was uploaded.
2.2.1 The Planning Officer’s Report (dated 2nd January 2025), found within the Planning Officer Report and Recommendations document at paragraph 5.6, only references an earlier e-mail dated 1st October 2024 from “the Willows” indicating the planning application was objected to.
2.2.2 There is no reference to the 15th December 2024 objection, which was far more detailed and included key concerns regarding environmental impacts, traffic safety, and alternative site proposals. The Planning Officers report does not consider or take account of the 15th December 2024 objection.
2.2.3 Given that the Planning Officer’s Report was submitted on 2nd January 2025, and the 15th December 2024 objection was still "on her desk" on 8th January 2025, this strongly suggests that it was not considered by the Planning Committee at the time of decision-making and that her recommend to approve the works did not take account of the 15th December 2024 objection.
2.2.4 The failure to ensure that the 15th December 2024 objection was available to the Planning Committee and considered within the Planning Officers Report constitutes a significant procedural failure that undermines the fairness of the decision-making process.
2.3.1 The Planning Applications Database displays a published date for each document, which is intended to reflect when the document was made available to the public. However, there is evidence that these dates are not reliable and can be manually altered by the individual uploading the documents.
2.3.2 Anomalies in the database show that documents listed as being published on 6th September 2024 actually contain content from October 2024, raising concerns that the system does not provide an accurate reflection of when documents were genuinely available to the public.
2.3.3 This calls into question the transparency of the planning process, as objectors and interested parties rely on the stated publication dates to ensure timely access to information. If these dates can be altered, and are inaccurate it further weakens public confidence in the fairness of the decision-making process.
2.4.1 The case officer’s report incorrectly stated that the site was 6 acres when, in fact, it is 4.46 acres (4 acres excluding hardstanding).
2.4.2 The officer’s report relied on this incorrect figure to conclude that the proposal did not constitute overdevelopment, referencing space requirements set by various equestrian associations.
2.4.3 The Planning Committee was misled by inaccurate information, and although the officer corrected the error at the hearing, she failed to explain why it did not alter her recommendation.
2.4.4 Malew Commissioners and multiple residents raised overdevelopment concerns, which were not adequately addressed.
2.5.1 Objectors were not given a fair opportunity to present their case compared to the applicant’s agent.
2.5.2 Redacted was restricted to a strict 3-minute presentation, after which no questions were asked by the Planning Committee.
2.5.3 In contrast, the applicant’s agent was involved in a general discussion beyond their 3-minute limit, demonstrating an imbalance in the process.
2.5.4 The imbalance suggests that the hearing was a procedural formality rather than a genuine review of objections, undermining public confidence in the fairness of the process.
3.1 The Isle of Man Strategic Plan 2016 and Development Plan set out clear criteria for rural development, equestrian uses, and environmental considerations. The approval contradicts several policies, including:
3.2 By approving this application despite the incorrect site size assessment and the exclusion of the 15th December 2024 objection, the Planning Committee failed to properly apply policy considerations.
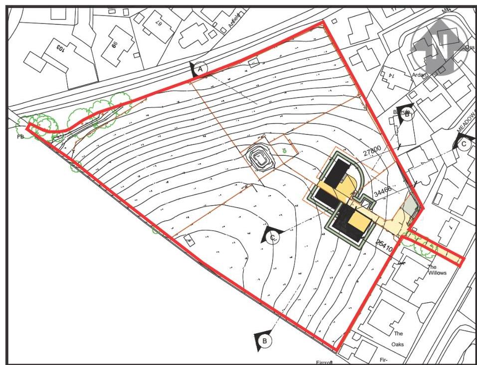
4.1 Without prejudice to the primary appeal arguments, should the Inspector be minded to allow the development, we submit that it should be relocated within the field to mitigate the severe impact on residential properties.
4.2 A site plan has been submitted by e-mail showing an alternative location for the stables and barn and a copy is also attached to this statement of case marked “A”. This alternative site was previously used for a field shelter, demonstrating its suitability for equestrian purposes.
4.3 The approved site results in significant and unacceptable residential impacts, including:
4.4 The alternative location would reduce these impacts by moving the development further away from all residential properties, maintaining the intended use while mitigating the harm caused by the current approval.
4.5 This does not change our position that the appeal should be upheld, and the approval overturned. However, if the Inspector determines that some form of development should be permitted, it is respectfully requested that conditions be imposed requiring its relocation to the alternative site to minimize harm.
4.1 5.1 Based on the above, it is respectfully submitted that the Planning Inspector should overturn the approval on the following grounds:
5.2 Without prejudice to the primary grounds for refusal, should the Inspector allow the development to proceed, it is requested that additional conditions be imposed to mitigate the impact. Specifically, it is submitted that:
5.1 This appeal presents clear evidence of a flawed planning decision. The procedural errors, misrepresentation of key facts, and exclusion of critical objections justify overturning the approval.
08.03.25
1:200 Approved Site Plan

1:1250 Approved Location Plan

1:1250 Original Location Plan

1:1250 Alternative Location Plan

1:1250 Overlaid Location Plan

1.1. My name is Redacted and I am an interested party in the appeal against the granting of planning permission 24/91021/B for the construction of a stable block and barn on Field 434087, Douglas Road, Ballasalla.
1.2. I submit this statement in support of the appeal lodged by Redacted outlining my direct experiences and concerns regarding procedural errors and transparency issues in the planning decision-making process.
2.1. I submitted a detailed objection to the application on 15th December 2024 on behalf of my brother in law Redacted, which detailed his objections and concerns to the planning application. A copy of the objection I filed, and the covering e-mail is now exhibited marked “A” (“the December Objection”).
2.2. On 8th January 2025, I contacted Vanessa Porter the Planning Officer to report that the December Objection had not been published on the Planning Department’s website. Vanessa Porter apologised to me and said that it was still "on her desk" and had not been uploaded. The December Objection was then uploaded to the Planning Department’s Website. A printout of the Planning Department’s webpage that lists the documents filed on this case is now exhibited marked “B”.
2.3. I refer to exhibit B, and a redacted copy of the December Objection I filed is shown as being published on 8th January and recorded under the Document Type of Representation with the Description “(Comment 1.1) THE WILLOWS 16.01.24”. I have printed a copy of this document and exhibit it marked “C”.
2.4. After the hearing on 13th January 2025, I became aware that the December Objection had not been considered by the Planning Committee, as the Planning Officer’s Report only referenced an earlier objection dated 1st October 2024 from "The Willows."
2.5. I refer to the Planning Officers Report which I exhibit marked “D”. I downloaded this document from the Planning Department’s website at https://pbc.gov.im/online-applications/applicationDetails.do?activeTab=documents&keyVal=SJ6H1IIPMAY00. The report is referred to as Officer Report on the website and has a date published of 22nd January 2025. I refer to paragraph 5.6 of this report
which reads:
"The Owner/Occupier of "The Willows" has written in to object to the proposal on the basis of highway safety, the hardstanding, overdevelopment of the site and animal welfare. (1.10.24)"
2.6. There is no mention of the December Objection in the Officers Report section at pages 2 to 6 of Planning Officers Report ("the Officers Report of 2nd January 2025") and it does not appear to have been considered.
2.7. I refer to exhibit B and note that the Officers Report of 2nd January 2025 which recommended the application be approved has not been published on the Planning Department website, which has resulted in it not being available to objectors such as my brother in law Redacted at the planning hearing on 13th January 2025.
3.1. I refer to exhibit B, the printout of the Planning Departments webpage that lists the documents filed on this case. Under the date 16th December 2024 is a further copy of the December Objection and it is also given the description of (Comment 1.1 The Willows Douglas). I exhibit a copy of this document marked “E”. This document is different from exhibit C and has been redacted differently in red writing rather than the black lines shown on exhibit E.
3.2. I have reviewed the Planning Applications Database and identified that the published dates of documents appear to be able to be altered manually by whoever records them onto the site, raising concerns about the transparency of the document submission process and the accuracy of the publication dates.
3.3. I referrer to Exhibit B and to the documents with the “date published” of 6th September 2024. A review of the description of these documents shows that some of them are documents created after 6th September 2024 and a review of the actual document confirms this.
3.4. As an example of this I exhibit marked “F” the document given the description “2491021B REP (Comment 1) The Willows 1.10.24 Redacted.” This is recorded as having been published on 6th September 2024. The document is a copy of my e-mail to the Planning Department dated 1st October 2024 which is referred to at paragraph 5.6 of the Planning Officers Report. I can confirm that I did not send that e-mail to the Planning Department on 6th September 2024.
3.5. This demonstrates that the stated publication dates are unreliable and do not accurately reflect when documents were made available to the public. This is relevant as I do not believe that exhibit E, a redacted version of the December Objection, was actually published on the website on 16th December 2024. Vanessa Porter apologised to me when I spoke with her on 8th January 2025 for not publishing the December Objection on the website
and when I later checked the website it had been updated with the December Objection on it. The redacted version of the December Objection shown at exhibit E cannot therefore have been published on the 16th December 2024 and this must have been published at a later date to that shown on the website.
I, Redacted, believe that the facts stated in this witness statement are true to the best of my knowledge and belief. Signed: Redacted Date: 1.03.25
Subject: Fwd: Objection 24/91021/B Attachments: ~~Redacted~~ planning objection 15.12.24.pdf
Forwarded message
From: Redacted
Date: Sun, Dec 15, 2024 at 5:12 PM Subject: Objection 24/91021/B To: <[email protected]>
Dear Sirs
Please find a objection letter to planning application 24/91021/B
Kind regards
Redacted
Dear Sir/Madam,
I am writing to formally object to the planning application (reference 24/91021/B) for the erection of a stables and the construction of an agricultural building, creation of hardstanding (part retrospective) and creation of pond (retrospective) on Field 434087, Douglas Road, Ballasalla, which is directly behind my property The Willows on Douglas Road, Ballasalla.
While I recognise the applicant's intention to establish and operate a horse charity for public use from the land, I have significant concerns regarding the impact on residential amenity, environmental risks, road safety hazards and non compliance with the Isle of Man Strategic Plan 2016 policies.
General Policy 3 of the Island Plan states:
“Development will not be permitted outside of those areas which are zoned for development on the appropriate Area Plan”
The land is agricultural land and is not zoned for development on an Area Plan. The proposed uses of the land in the application mean that the land will need a change of use to equestrian and this is development.
The application gives no grounds as to why this overriding policy should not be followed in this case.
The applicant states that the land is designated as agricultural land and is to be used for the agricultural purposes of providing pasture and grazing on the site.
While it is not disputed that horses have grazed on the land since Mrs Simcocks purchased the land on 31st May 2000, the proposals are not in the nature of agricultural use and instead
are a material change of use to equestrian purposes which requires planning permission under the Town and Country Planning Act 1999 and the Town and Country Planning (Use Classes) Order 2019.
The Town and Country Planning (Use Classes) Order 2019 states in its notes: “There are some uses which do not fall within any particular use class, meaning that the change from or to such a use always constitutes development. Such uses sometimes referred to as being Sui Generis. These uses are set out in Article 5.” Article 5(2)(r) is the category agriculture and any change from agricultural use will constitute development and require specific planning consent.
Using land solely for grazing horses typically falls under the agricultural use classification. This means that if horses are turned out on the land primarily to feed on the natural vegetation without supplementary feeding, riding, or other activities such as horse jumping, the land retains its agricultural status. In such cases, planning permission for change of use is generally not required.
When horses are kept on the land for purposes beyond mere grazing—such as recreational riding, training, horse jumping or if they are provided with significant supplemental feed—the primary use shifts from agriculture to equestrian. This change constitutes a material change of use, necessitating planning permission. Factors that may indicate a shift to equestrian use include:
Courts have addressed the distinction between agricultural and equestrian uses. For instance, in Sykes v. Secretary of State for the Environment¹, it was determined that using land for grazing horses constitutes agriculture only if grazing is the sole activity. Introducing supplementary feeding or riding alters the land’s primary use to equestrian, requiring planning permission.
¹ Sykes v Secretary of State for the Environment and another South Oxfordshire District Council v Secretary of State for the Environment and others [1981] 1 EGLR 137
If land in the Isle of Man is used exclusively for grazing horses, it is considered agricultural, and no change of use planning permission is needed. However, incorporating activities like riding, training, or supplementary feeding changes the land's use to equestrian, necessitating planning permission for a change of use.
The application set out that the building will be used for the storage of supplemental feed and includes stables, a tack room and a storage barn for feed.
The application states:
This includes substantial horse feed beyond what the pasture offers and requires a change of the use to equestrian.
The application includes a proposal to build a 102m² stable block consisting of 3 stables and a tack room. The application explains that the stable block is to be used by the horse which is on site at present and a pony which is out on loan to a 3rd party for carriage driving & ridden purposes and two ponies currently stabled off site. The horses are to be used for recreational riding and following Sykes v. Secretary of State for the Environment this application requires a change of use to equestrian before a planning application can be brought for stables and a tack room.
Similarly the agricultural barn does not appear to be in the nature of a barn for agricultural purposes. The only true agricultural purpose being undertaken on the land is the grazing of the horse, sheep and geese.
This is not an agricultural use that currently necessitates a barn as grazing has taken place on the land for over 20 years without the need for a barn and there is an existing field shelter
on the site. The application explains that the barn is to store hay and food for the horses, medication and tack which is equestrian use rather than agricultural.
One factor that indicates land is being used for equestrian rather than agricultural use is the presence of equestrian structures such as jumps.
In the planning application there is a photograph entitled:
“Photo showing existing machinery and equipment to be housed in the proposed machinery store and currently stored outside.”
This photograph clearly shows blue jumps and it would appear that the land is already being used for non agricultural equestrian purposes in contravention of planning laws. This is clear evidence that the land and proposed structures including the “agricultural barn” is to be used not as agricultural land and buildings but as equestrian land and buildings.
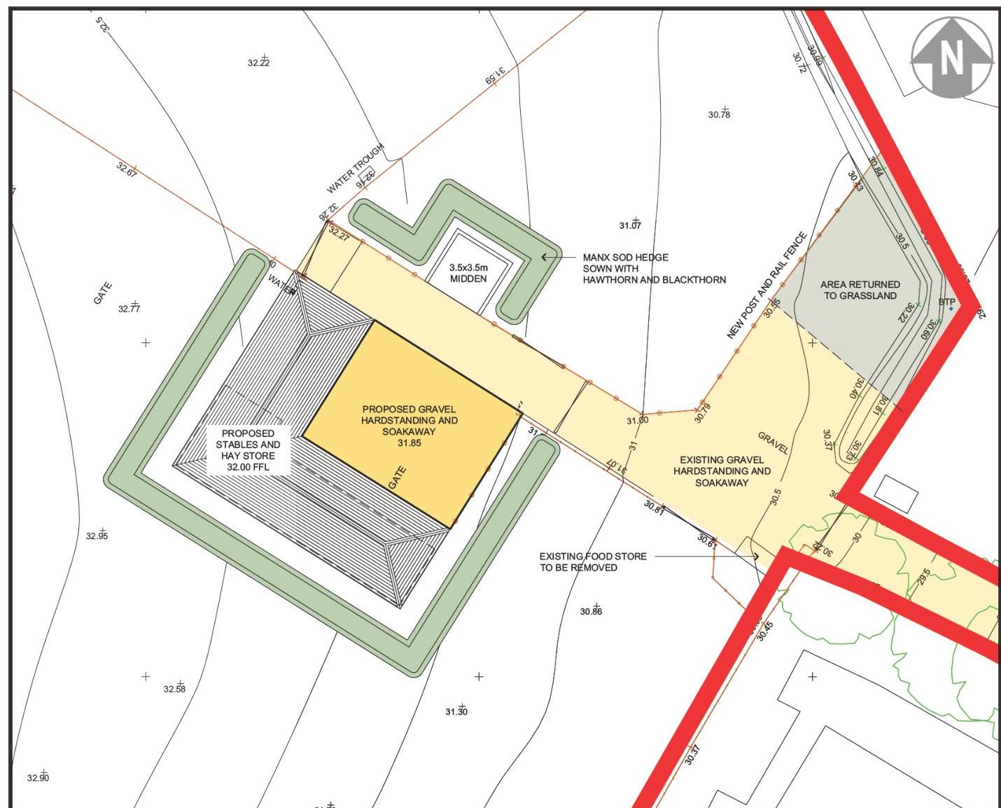
The application includes a midden which is clearly visible from the rear bedroom windows of my property.
When horses, sheep and geese graze on agricultural land they do not require a midden to be built as they naturally manage the land. Agricultural land used for the grazing of horses would be managed by occasional harrowing which puts the manure back into the ground. A midden is only used when horses are stabled. The midden is used to hold dirty horse bedding and horse manure from the stables and in practice can be one to two meters high and necessitates the use of a tractor to manage it.
The use of a midden would require the land to be rezoned for equestrian use. The use of a midden on agricultural land would be a change of use requiring planning permission. This application does not seek a change of use from agricultural to equestrian.
I note that this is a new planning application and the previous one was withdrawn. I objected to the previous application and now note that this new application places a midden behind my bedroom window together with the busy stables yard. Persons using the yard will face my bedroom windows and I will overlook them and the midden on this new application.
The midden is proposed to be constructed in an area surrounded by residential houses. A midden should not be constructed close to residential houses for the following reasons:
a) Odor and Air Quality
b) Attraction of Pests
c) Water Pollution
The application states: "The hardstanding layed in the eastern corner of the site seeking retrospective permission contains a soakaway which was installed in order to reduce the run-off onto neighbouring properties."
The midden effluent is likely to run off into the soakaway that has been constructed without planning adjacent to the neighbouring properties.
The effluent from the midden soaking into the unplanned soakaway poses a significant environmental risk, as it can lead to the contamination of local watercourses and soil with harmful bacteria, nutrients, and pollutants, potentially breaching environmental regulations and endangering both public health and the surrounding ecosystem.
There is no evidence provided that the soakaway, which was constructed in breach of planning laws, was constructed in a manner that would accommodate run off from a midden.
The current proposals for the midden (and the hard standing areas with soakaways) breach Environment Policy 22 of the Isle of Man Strategic Plan 2016 which reads:
“Development will not be permitted where it would unacceptably harm the environment and/or the amenity of nearby properties in terms of: i) pollution of sea, surface water or groundwater; ii) emissions of airborne pollutants; and iii) vibration, odour, noise or light pollution.”
The proposed midden (and the hard standing areas with soakaways) breach all of grounds of Environment Policy 22.
e) Visual Impact
f) Health Risks
g) Legal and Regulatory Concerns
h) Alternative Locations
I would ask the Planning Committee to reject this application which seeks to construct a midden behind my house and in direct view of my bedroom windows.
The access to this field is via Douglas Road which is a freeway. This raises significant concerns:
When the land was only used for agricultural purposes there was no traffic as the land is too small an acreage for commercial purposes and this is why it has only been used for grazing.
The proposed barn, stables, midden and hard standing areas will have a detrimental visual impact on our homes:
This concern directly contravenes General Policy 2(g) of the Isle of Man Strategic Plan 2016, which states:
“Development will not be permitted where it adversely affects the amenity of local residents or the character of the locality.”
The proposed development fails to consider the impact on neighbouring properties, with its current layout creating visual intrusion and a loss of privacy. Best practices for siting such facilities emphasize the importance of ensuring that livestock yards and associated structures are placed out of view of residential properties to minimize disturbance.
I respectfully request that the Planning Committee reject the application on the grounds that the current orientation of the barn, stables and yard unacceptably impacts residential amenity. Should the proposal proceed, I recommend that the barn, stables and yard be repositioned further into the field with its open side oriented away from neighbouring homes, thereby preserving privacy and reducing visual intrusion.
This concern directly contravenes Environment Policy 22(iii) of the Isle of Man Strategic Plan 2016, which states:
“Development will not be permitted where it would unacceptably harm the environment and/or the amenity of nearby properties in terms of... vibration, odour, noise or light pollution.”
The introduction of lighting in what is currently a rural and unlit field would unacceptably alter the character of the countryside and constitute light pollution, which is recognized as detrimental to residential amenity, wildlife, and the natural environment.
I would ask the Planning Committee to carefully consider the adverse effects of external lighting associated with this proposal and reject the application on the grounds that it fails to comply with Environment Policy 22. Should the development proceed, strict conditions should be imposed, such as the use of shielded, low-intensity lighting, ensuring lights are turned off after specified hours to minimize disruption to local residents.
The proposed barn and stables contravene Environment Policy 21 of the Isle of Man Strategic Plan 2016, which states:
“Buildings for the stabling, shelter or care of horses or other animals will not be permitted in the countryside if they would be detrimental to the character and appearance of the countryside in terms of siting, design, size or finish.”
inappropriate for the location and introduces a sense of urbanization into a countryside setting.
d) Visual Intrusion
e) Non-Compliance with Policy Requirements
Environment Policy 21 clearly mandates that new buildings must:
The proposal fails to meet these standards due to its:
Conclusion
The proposed barn and stables do not comply with Environment Policy 21 because their size, design, and placement detract from the rural character of the countryside. The development introduces an urban and industrial aesthetic into a previously natural setting, failing to reflect the sensitivity and integration required by the policy.
I would ask the Planning Committee to reject this application on the grounds that it is incompatible with the strategic aims of preserving and protecting the Isle of Man’s countryside. Alternatively, if approved, the Planning Authority must impose strict conditions, such as relocation further into the field, reduced scale, and mandatory landscaping, to minimize the harm caused by this development.
The proposed facility which is intended to operate as a horse charity will by its very nature have public use, e.g. the Home of Rest for Old Horses is open to the public. This raises significant concerns about parking and access, particularly in a rural area with limited infrastructure to accommodate such activity. Without clear plans to mitigate these impacts, the proposal will create unacceptable disruption to local residents and the surrounding environment.
My concern is that the applicant is seeking to construct a barn and stables in the knowledge that after they are constructed they are to be used for a horse charity and associated public use. The application should address these issues and show how this change of use will impact the area and what steps will be taken to address these issues.
The application in its current form should be rejected as it fails to address all of the issues that will arise from the construction of the buildings for subsequent use as a horse charity.
The retrospective application for the surfacing of the lane and hardstanding works should not be approved due to the following key concerns:
a) Breach of Planning Control
The construction of the metalled lane and hardstanding without prior planning permission constitutes a clear breach of planning control. Granting retrospective permission for such works sets a dangerous precedent, undermining the authority of the Planning Department and encouraging similar unauthorized developments. The applicant’s failure to adhere to proper procedures should not be rewarded.
b) Environmental Impact
The lane and hardstanding works have been constructed without consideration for the proximity of residential properties. The following issues arise:
The metalled lane and hardstanding works have altered the rural character of the site, creating a visually intrusive feature in what was previously a greenfield site. The stone chippings and hardstanding detract from the natural landscape and fail to integrate with the surrounding countryside, violating General Policy 2, which requires developments to respect their surroundings.
The metalled lane and hardstanding facilitate access for large agricultural vehicles and equipment, significantly increasing traffic on the narrow lane and its junction with Douglas Road. This raises several safety concerns:
The applicant has failed to demonstrate that the metalled lane and hardstanding are essential or appropriately planned. Retrospective applications should only be granted in exceptional circumstances, where the benefits of the works outweigh the harm caused. In this case:
The retrospective planning application for the metalled lane and hardstanding should be rejected due to:
I respectfully request that the Planning Authority require the removal of the unauthorized works to restore the site to its original condition. Alternatively, stringent conditions should be imposed to address the environmental and residential concerns if permission is granted.
For the reasons outlined above, I strongly object to this proposal. I urge the Planning Committee to consider the significant environmental, traffic, and residential impacts and reject this application. Should this application proceed, I request that mitigation measures be considered, such as:
Thank you for considering my concerns. I would appreciate acknowledgment of this objection and updates regarding the progress of this application.
Yours faithfully,
Spencer Benham
Spencer Benham
Estates Gazette February 28 1981(1980) 257 EG 821 QUEEN'S BENCH DIVISIONAL COURT (Before Lord Justice DONALDSON and Mr Justice KILNER BROWN) December 15 1980
Town and Country Planning Act 1971 — Appeals against decisions of Secretary of State raising points of general interest as to the need for planning permission where land is used in connection with horses — Planning authorities said to be concerned about proliferation of uses of small areas of land for schooling horses, teaching young riders, practising for gymkhanas and other recreational activities connected with horses — Judgments seek to clarify position — Although the use of land as grazing land, being a use for "agriculture", is not subject to planning control, even if the use is for the grazing of "non-agricultural horses" (ie horses used for recreation), it is necessary to define what is meant by such use — The use must be for the purpose of grazing — Grazing must be the predominant or substantial use — Incidental grazing by horses fed otherwise would not be enough — Common sense rather than reference to legal precedents should be the guide for inspectors and planning officers — In the main appeal the finding of fact that the land was used for grazing could not be attacked — Point raised in other appeal as to need for clarity and precision in enforcement notice — Appellant was admittedly using land only for exercising ponies, not for grazing, but notice required him to desist from using the land as "a paddock" — Notice ambiguous — Strictly speaking, the concept of a paddock is merely that of an enclosure, not a use — In any case, interpreted as a use it could have meant use for grazing, which was not a breach of planning control, just as easily as use for the keeping of ponies — Planning authority's appeal on the grazing point dismissed — Landowner's appeal on enforcement notice point allowed
The first-named appeal was by David John Sykes against the Secretary of State and the South Oxfordshire District Council as respondents, the issue being the validity of an enforcement notice served by the second respondents. In the second-named appeal the South Oxfordshire District Council as appellants challenged a decision of the Secretary of State that, in view of a finding of fact that land was used for grazing of horses, there was no breach of planning control. It was argued on behalf of the planning authority that the grazing did not escape planning control unless the horses were themselves used for agricultural purposes. The
respondents to this appeal were the Secretary of State and Timothy B Underwood, Elizabeth Underwood and Peter Brian Lance.
D E W Turriff (instructed by Bircham & Co) appeared on behalf of David John Sykes in the first-named appeal and on behalf of Timothy B Underwood and Elizabeth Underwood, respondents in the second-named appeal; Simon Brown (instructed by the Treasury Solicitor) represented the Secretary of State in both appeals; D N R Latham (instructed by Sherwood & Co, agents for J B Chirnside, chief executive and solicitor, South Oxfordshire District Council) represented the council in both appeals.
Giving judgment, DONALDSON LJ said: Today we have been concerned with two appeals against decisions of the Secretary of State in his planning jurisdiction. Both appeals have something in common in that they raise the question of whether and to what
extent it is necessary to have planning permission if you are using land in connection with horses which are themselves kept for recreational purposes.
Both cases arise in South Oxfordshire. The exact details of the appeal sites are irrelevant for present purposes. In the case of Mr and Mrs Underwood they kept three racehorses, two point-to-point horses, a driving pony, two family ponies and one retired mare which had been badly injured, all on the 2 1/2 acres of land concerned. In the case of Mr Sykes, he kept two show ponies on his rather smaller piece of land.
The Underwoods were successful in their appeal to the Secretary of State, who took the view that what they were doing, as found by the inspector, did not constitute a breach of planning control. In the case of Mr Sykes, he reached the opposite conclusion. In the case of the Underwoods the South Oxfordshire District Council appeals and in the other case Mr Sykes is the appellant.
Let me put Mr Sykes' appeal on one side for the moment because he is only concerned with the second of the two points which arise in the Underwood appeal. He cannot contend in his case that what he was doing was a permitted development because it has been found that he was not using the land for grazing purposes in any way at all. He was using it merely for exercising the ponies. He has, however, a point on the form of the notice to which I will return.
In Mr and Mrs Underwood's case, as I say, the Secretary of State took the view that no planning permission was needed because there was no breach of planning control in the use which they were making of their land, and it is that point which I think has to be examined and it is that point which is of general interest, as I understand it, to the Secretary of State and to planning officers throughout the country.
The matter starts with section 22(2)(e) of the Town and Country Planning Act 1971, which provides:
The following operations or uses of land shall not be taken for the purposes of this Act to involve development of the land, that is to say— ... (e) the use of any land for the purposes of agriculture ...
I think I can omit the rest of the words as being immaterial for present purposes.
"Agriculture" is defined, somewhat indigestibly, in section 290(1) of the Act as follows:
"Agriculture" includes horticulture, fruit growing, seed growing, dairy farming, the breeding and keeping of livestock (including any creature kept for the production of food, wool, skins or fur, or for the purpose of its use in the farming
18
of land), the use of land as grazing land, meadow land, osier land, market gardens and nursery grounds, and the use of land for woodlands where that use is ancillary to the farming of land for other agricultural purposes, and "agricultural" shall be construed accordingly.
The Secretary of State in his decision letter [Ref APP/5355/C/77/5117 dated May 15 1980] dealt with Mr Underwood's appeal in the following terms. He said:
In regard to ground (b) of the appeal against Notice A, it was argued on behalf of your clients, citing the judgment of the Court in Rutherford v Maurer [1962] 1 QB 16 and McClinton v McFall (1974) 232 EG 707, that the use of the appeal site for the grazing of horses was an agricultural use and, as such, did not amount to development within the meaning of the 1971 Act. The inspector found as facts, which are accepted, that Mr Underwood, purchased the appeal site in 1975 and, since then, it has been used for grazing his horses as an alternative to their accommodation in the stable buildings at "The Well House". There was no evidence to show that the site had been used for any other purpose in connection with these horses.
The Secretary of State's decision letter continued:
The inspector concluded: "Site A is a well defined field. Although now open to the extreme rear part of the land purchased as the property 'The Well House', that area is not embraced by Notice A and is physically separated from the land containing the buildings concerned in Notice B. Site A should therefore be considered as an isolated planning unit.
"The judgment given in Belmont Farm Ltd v Minister of Housing and Local Government (1962) 13 P & CR 417 was concerned with land and buildings which as a whole were used as a stud farm, a situation not pertaining at Site A.
"The other two cases cited by the appellant's advocate, McClinton v McFall and Rutherford v Maurer, although not concerned with planning law, were concerned with circumstances very similar to those of Notice A. In both cases the courts appeared to have had no doubt that the grazing of land by horses, whatever the purposes of those horses, came within a definition of agriculture similar to that given in section 290 of the 1971 Act.
"Following those last two judgments rather than that given in Belmont Farm Ltd v Minister of Housing and Local Government, as Site A has only been used for the grazing of horses, which can aptly be described as use for the purpose of a horse-paddock and which comes within the definition of agriculture, no development requiring planning permission has occurred by reason of section 22(2)(e) of the 1971 Act, and the appeal succeeds on ground 88(1)(b)."
The Secretary of State continued:
These conclusions have been considered. The inspector's view that Site A is a separate planning unit is accepted, subject to the qualification that that unit is seen as including parts of "The Well House" land to the north of the fence, behind the stables. Though occupied with the remainder of "The Well House" land — comprising the house and its curtilage, including the stables — Site A, together with that northern part of "The Well House" land is seen as being a separate planning unit, as a physically distinct area which has a separate use; namely for grazing horses. Following the inspector's view of the matter, it is further considered that, as a "use of land as grazing land", this use is within the definition of "agriculture" in section 290(1) of the 1971 Act and that, by virtue of section 22(2)(e) of that Act, it is consequently a use which is not to be taken as involving the development of land. From this it follows that the introduction of that use did not constitute a breach of planning control, and the appeal succeeds on ground (b).
Mr Latham for the South Oxfordshire District Council submits that this is wrong and that, properly construed, section 22(2)(e) does not permit the use of land for the grazing of horses unless those horses are themselves being used for agricultural purposes. If you have, for instance, a carthorse, you could graze that on the land assuming that the carthorse would be used for agricultural purposes, although one can of course use carthorses for other purposes. On the other hand, horses which are used purely for recreational purposes are not, he submits, within the definition. If you read the definition literally that clearly is not correct. But Mr Latham relies heavily upon the decision of this court in Belmont Farm Ltd v Minister of Housing and Local Government (1962) 13 P & CR 417.
In that case this court was concerned with a different limb of the definition, namely, the words “keeping of livestock” with its parenthetical qualification relating to creatures kept for the production of food, wool, skins or fur, or for the purpose of its use in the farming of land. This court held that, taking account of that parenthesis, the words “keeping of livestock” had to be restrictively construed and did not cover the keeping of horses for purposes other than agricultural purposes. In Mr Latham's submission, the same approach should be adopted in relation to the words “use of land as grazing land”.
For my part, I see no reason why the words should be construed restrictively in that way. There are no qualifying words such as exist in relation to the words “keeping of livestock”. There are no such qualifying words as exist at the end of the definition in relation to the use of land or woodlands. It is thus quite clear that, if Parliament had intended to qualify the apparent width of the words “use of land as grazing land”, it could have done so, and I see absolutely no reason why we should imply any such limitation.
The whole of the decision in the Belmont Farm case, as appears from the judgment of Lord Parker CJ, turned upon the qualifying words and what was to be implied from them. There is nothing, as I see it, in that judgment which would have any application to the words with which we are concerned. Accordingly I would give them their natural meaning. As it seems to me, faced with the inspector's conclusion of fact that this land — the Underwoods' land — was used for the grazing of horses, the Secretary of State's decision was wholly correct.
The form of the notice of appeal does not permit Mr Latham to attack the findings of fact, and indeed he might have had some difficulties in view of the semi-sacrosanct nature of findings of fact in this field. But it is, I think, fair to say that the Underwoods may perhaps have been fortunate in their findings of fact in this case because it is not, as I see it, every grazing of land by horses which enables an owner of land to say that he does not need planning
[1981] 1 EGLR 137 at 139
permission. Section 22(2)(e) says in terms that what is permitted is the use of the land, and I substitute the relevant part of the definition, for the purposes of using that land as grazing land. The concept of there being more than one cause or more than one purpose is well known to the law.
What an inspector in these circumstances has to decide is: what was the purpose — and I stress the word "the" — for which the land is being used? If horses are simply turned out on to the land with a view to feeding them from the land, clearly the land is being used for grazing. But if horses are being kept on the land and are being fed wholly or primarily by other means so that such grazing as they do is completely incidental and perhaps achieved merely because there are no convenient ways of stopping them doing it, then plainly the land is not being used for grazing but merely being used for keeping the animals. On the other hand, of course, if the animals are put on to a field with a view to their grazing and are kept there for 24 hours a day, seven days a week over a period, it would not, I would have thought, be possible to say that as they were being kept there, they were not being grazed. It is quite possible for horses to be both grazed and kept in the same place.
The predominant question here is: what use was being made of the land? Was it for the purpose of grazing? I do not find any particular difficulty in deciding what is a predominant use. To take an example which I mentioned in argument, if somebody goes to a restaurant and smokes after the meal they do not go to the
20
restaurant in order to smoke; they go for the meal. There is no difficulty about that. I cannot see any difficulty in most cases in recognising whether the land is being used for grazing or for the keeping of non-agricultural horses. It is only if it is being used for the purpose of grazing that no planning permission is required.
Let me now turn to the second problem, which arises out of the fact that in the case of the Underwoods' enforcement notice they were required to desist from using the land as "a horse paddock", and in the case of Mr Sykes' enforcement notice he was required to desist from using the land as "a paddock". It is unnecessary to say anything about the Underwoods' case since, as I have already said, I would support the Secretary of State's decision in allowing the appeal. Therefore that notice is dead. But as far as the Sykes' notice is concerned, it is crucial because this is the only ground upon which he can have the Secretary of State's decision set aside.
For my part, I think that he is entitled to have it set aside. I say that for this reason. Section 87(6) of the Act provides:
An enforcement notice shall specify — (a) the matters alleged to constitute a breach of planning control; (b) the steps required by the authority to be taken in order to remedy the breach ...
It follows from that, and indeed there is ample authority to support the proposition, that there must be a clear indication to the addressee of the notice as to what it is that he is doing wrong and what he must do in order to stop doing it. Both those propositions call for some clarity of expression on the part of those who prepare the enforcement notice. To require somebody to stop using land as a paddock seems to me to be wholly lacking in any clarity whatever. It is open, to start with, to the comment that you do not use land as a paddock; it either is or is not a paddock. A paddock is not a concept of use at all; it is a concept perhaps of enclosure. But Mr Brown says that in this context it must mean "for the keeping of horses". It seemed to me that it could equally well mean "for the grazing of horses", which is not a breach of planning control at all. It is a thoroughly unsatisfactory term, and as it is ambiguous as well as being unsatisfactory I think that the section is not complied with. In the case of Mr Sykes' appeal, too, I would allow the appeal and remit the matter to the Secretary of State for further consideration.
Agreeing, KILNER BROWN J said: With regard to the question of principle which this court was asked to consider, it seems to me that in this situation, as we are told and it may well be so, there is growing anxiety felt by a number of local authorities as to the proliferation of small areas of land used for the purpose either of keeping horses for recreational purposes or alternatively for using them for schooling or for teaching young riders, particularly in the more difficult art of show jumping and performing in gymkhanas. But in the end it is always a question of common sense. I would have thought that planning officers in the first place should apply the sort of test which my Lord has indicated and to see really what is the land used for, and, as Mr Brown for the Secretary of State rightly said, you look to see what is its substantial use. It is easy enough to detect the situation where a piece of land — a paddock, a small meadow, call it what you like — is simply used for the purpose of schooling horses or training young riders. The amount of grazing which occurs on that land is merely incidental while each horse and rider is waiting his or her turn to be trained. On the other hand, there may be, as the inspector found in the case of the Underwoods, normally speaking a degree of actual and substantial grazing which was carried out.
Again I would deprecate the use of reference to authorities such as those which were cited before the inspector. In view of the judgment given by my Lord, I would hope that henceforth inspectors and planning officers would be able to approach the growing problem using their common sense, assessing each situation upon the facts as they appear to be. Having said that, I agree with the judgment of my Lord.
The appeal by Mr Sykes was allowed with costs against the district council. The appeal by the district council against the Secretary of State and others was dismissed with costs.
EXHIBIT B
Search → My Profile → Saved Searches Login Register
Erection of stables and agricultural building, creation of hardstanding (part retrospective) and creation of pond (retrospective)
Field 434087 Douglas Road Ballasalla Isle Of Man IM9 2AN
Permitted
Committee: Mon 13 Jan 2025
You can select up to 25 documents to download in one archive file at a time.
| Date Published | Document Type | Description | View |
|---|---|---|---|
| 17 Feb 2025 | Appeals | APPEAL REQUEST AND APPENDED STATEMENT 11 FEB 25 | 📷 |
| 17 Feb 2025 | Appeals | LETTER TO AGENT OF APPLICANT 17 FEB 25 | 📷 |
| 17 Feb 2025 | Appeals | LETTERS TO ALL PARTIES 17 FEB 2 | 📷 |
| 27 Jan 2025 | Decision | CORRECTION COVERING EMAIL | 📷 |
| 27 Jan 2025 | Decision Notice | CORRECTION NOTICE | 📷 |
| 22 Jan 2025 | Decision Notice | DECISION NOTICE SUPERSEDED | 📷 |
| 22 Jan 2025 | Decision Notice | OFFICER REPORT | 📷 |
| 08 Jan 2025 | Correspondence | PC AGENDA ALERT | ☑ |
| 08 Jan 2025 | Representations | (COMMENT 1.1) THE WILLOWS 16.1.24 | ☑ |
| 02 Jan 2025 | Consultations | CONSULTATION 1.4 DOI HIGHWAYS 2.1.25 | ☑ |
| 17 Dec 2024 | Representations | REP (COMMENT 2.1) 7 MEADOW COURT 17.12.2024 | ☑ |
| 16 Dec 2024 | Representations | (COMMENT 1.1) THE WILLOWS DOUGLAS | ☑ |
| 26 Nov 2024 | Amendments | READVERTISED SITE NOTICE | ☑ |
| 26 Nov 2024 | Amendments | READVERTISED LETTER TO APPLICANT 26 NOV 24 | ☑ |
| 26 Nov 2024 | Amendments | OFFICERS NOTICE TO AMENDED DETAIL AND COVERING EMAILS 26 NOV 24 | ☑ |
| 26 Nov 2024 | Amendments | DESIGN ACCESS STATEMENT | ☑ |
| 26 Nov 2024 | Amendments | CA-3344-100 REV A PROPOSED PLANS AND ELEVATIONS 26 NOV 24 | ☑ |
| 26 Nov 2024 | Amendments | A-3344-001 REV A SITE PLAN 26 NOV 24 | ☑ |
| 06 Sep 2024 | Superseded | 2491021B APL DRG 001 LOCATION AND SITE PLANS AND SECTIONS | ☑ |
| 06 Sep 2024 | Representations | 2491021B REP (Comment 1) The Willows 1.10.24_Redacted | ☑ |
| 06 Sep 2024 | Representations | 2491021B REP (Comment 2) 7 | ☑ |
| 06 Sep 2024 | Application Detail | 2491021B APL Drg LS 01 Topographical Survey | ☑ |
| 06 Sep 2024 | Consultations | 2491021B CON Consultation 3 Malew Commissioners 24.10.24 | ☑ |
| 06 Sep 2024 | Superseded | 2491021B APL DRG 100 PROPOSED PLANS AND ELEVATIONS | ☑ |
| 06 Sep 2024 | Additional info | 2491021B ADD Site Photos 1-3 That Couldnt be Resolved in Covering Email 21 Oct 24 | ☑ |
| 06 Sep 2024 | Consultations | 2491021B CON Consultation 1.2 DOI Highways 21.10.2024.Redacted | ☑ |
| 06 Sep 2024 | Superseded | 2491021B APL DESIGN ACCESS STATEMENT AND PLAN LIST | ☑ |
| 06 Sep 2024 | Consultations | 2491021B CON Consultation 1 Highways 13 Sep 24 | ☑ |
| 06 Sep 2024 | Application Detail | 2491021B APL Drg 101 Pond Plan and Sections | ☑ |
| 06 Sep 2024 | Additional info | 2491021B ADD Officers Notice to Additional Detail and Covering Email Specified Consultees 21 Oct 24 | ☑ |
| 06 Sep 2024 | Consultations | 2491021B CON Consultation 1.1 DOI Highways 01.10.2024 | ☑ |
| 06 Sep 2024 | Application Detail | 2491021B APL Acknowledgement letter | ☑ |
Download Selected Files Powered by idox Social Media Hub Site Map
© 2025 Crown Copyright | OGL All content is available under the Open Government Licence, except where otherwise stated
| 06 Sep 2024 | Application Detail | 2491021B APL Application form | ☑ |
| 06 Sep 2024 | Consultations | 2491021B CON Consultation 2 Ecosystem Policy Officer 27.09.2024 | ☑ |
| 06 Sep 2024 | Application Detail | 2491021B APL Site Notice | ☑ |
EXHIBIT C
Dear Sir/Madam,
I am writing to formally object to the planning application (reference 24/91021/B) for the erection of a stables and the construction of an agricultural building, creation of hardstanding (part retrospective) and creation of pond (retrospective) on Field 434087, Douglas Road, Ballasalla, which is directly behind my property The Willows on Douglas Road, Ballasalla.
While I recognise the applicant’s intention to establish and operate a horse charity for public use from the land, I have significant concerns regarding the impact on residential amenity, environmental risks, road safety hazards and non compliance with the Isle of Man Strategic Plan 2016 policies.
General Policy 3 of the Island Plan states:
“Development will not be permitted outside of those areas which are zoned for development on the appropriate Area Plan”
The land is agricultural land and is not zoned for development on an Area Plan. The proposed uses of the land in the application mean that the land will need a change of use to equestrian and this is development.
The application gives no grounds as to why this overriding policy should not be followed in this case.
The applicant states that the land is designated as agricultural land and is to be used for the agricultural purposes of providing pasture and grazing on the site.
While it is not disputed that horses have grazed on the land since purchased the land on 31st May 2000, the proposals are not in the nature of agricultural use and instead
are a material change of use to equestrian purposes which requires planning permission under the Town and Country Planning Act 1999 and the Town and Country Planning (Use Classes) Order 2019.
The Town and Country Planning (Use Classes) Order 2019 states in its notes: “There are some uses which do not fall within any particular use class, meaning that the change from or to such a use always constitutes development. Such uses sometimes referred to as being Sui Generis. These uses are set out in Article 5.” Article 5(2)(r) is the category agriculture and any change from agricultural use will constitute development and require specific planning consent.
Using land solely for grazing horses typically falls under the agricultural use classification. This means that if horses are turned out on the land primarily to feed on the natural vegetation without supplementary feeding, riding, or other activities such as horse jumping, the land retains its agricultural status. In such cases, planning permission for change of use is generally not required.
When horses are kept on the land for purposes beyond mere grazing—such as recreational riding, training, horse jumping or if they are provided with significant supplemental feed—the primary use shifts from agriculture to equestrian. This change constitutes a material change of use, necessitating planning permission. Factors that may indicate a shift to equestrian use include:
Courts have addressed the distinction between agricultural and equestrian uses. For instance, in Sykes v. Secretary of State for the Environment¹, it was determined that using land for grazing horses constitutes agriculture only if grazing is the sole activity. Introducing supplementary feeding or riding alters the land’s primary use to equestrian, requiring planning permission.
¹ Sykes v Secretary of State for the Environment and another South Oxfordshire District Council v Secretary of State for the Environment and others [1981] 1 EGLR 137
If land in the Isle of Man is used exclusively for grazing horses, it is considered agricultural, and no change of use planning permission is needed. However, incorporating activities like riding, training, or supplementary feeding changes the land’s use to equestrian, necessitating planning permission for a change of use.
The application set out that the building will be used for the storage of supplemental feed and includes stables, a tack room and a storage barn for feed.
The application states:
Feed and medicines to be kept on site:
This includes substantial horse feed beyond what the pasture offers and requires a change of the use to equestrian.
The application includes a proposal to build a 102m² stable block consisting of 3 stables and a tack room. The application explains that the stable block is to be used by the horse which is on site at present and a pony which is out on loan to a 3rd party for carriage driving & ridden purposes and two ponies currently stabled off site. The horses are to be used for recreational riding and following Sykes v. Secretary of State for the Environment this application requires a change of use to equestrian before a planning application can be brought for stables and a tack room.
Similarly the agricultural barn does not appear to be in the nature of a barn for agricultural purposes. The only true agricultural purpose being undertaken on the land is the grazing of the horse, sheep and geese.
This is not an agricultural use that currently necessitates a barn as grazing has taken place on the land for over 20 years without the need for a barn and there is an existing field shelter
on the site. The application explains that the barn is to store hay and food for the horses, medication and tack which is equestrian use rather than agricultural.
One factor that indicates land is being used for equestrian rather than agricultural use is the presence of equestrian structures such as jumps.
In the planning application there is a photograph entitled:
“Photo showing existing machinery and equipment to be housed in the proposed machinery store and currently stored outside.”
This photograph clearly shows blue jumps and it would appear that the land is already being used for non agricultural equestrian purposes in contravention of planning laws. This is clear evidence that the land and proposed structures including the “agricultural barn” is to be used not as agricultural land and buildings but as equestrian land and buildings.
The application includes a midden which is clearly visible from the rear bedroom windows of my property.
When horses, sheep and geese graze on agricultural land they do not require a midden to be built as they naturally manage the land. Agricultural land used for the grazing of horses would be managed by occasional harrowing which puts the manure back into the ground. A midden is only used when horses are stabled. The midden is used to hold dirty horse bedding and horse manure from the stables and in practice can be one to two meters high and necessitates the use of a tractor to manage it.
The use of a midden would require the land to be rezoned for equestrian use. The use of a midden on agricultural land would be a change of use requiring planning permission. This application does not seek a change of use from agricultural to equestrian.
I note that this is a new planning application and the previous one was withdrawn. I objected to the previous application and now note that this new application places a midden behind my bedroom window together with the busy stables yard. Persons using the yard will face my bedroom windows and I will overlook them and the midden on this new application.
The midden is proposed to be constructed in an area surrounded by residential houses. A midden should not be constructed close to residential houses for the following reasons:
a) Odor and Air Quality
b) Attraction of Pests
c) Water Pollution
The application states: "The hardstanding layed in the eastern corner of the site seeking retrospective permission contains a soakaway which was installed in order to reduce the run-off onto neighbouring properties."
The midden effluent is likely to run off into the soakaway that has been constructed without planning adjacent to the neighbouring properties.
The effluent from the midden soaking into the unplanned soakaway poses a significant environmental risk, as it can lead to the contamination of local watercourses and soil with harmful bacteria, nutrients, and pollutants, potentially breaching environmental regulations and endangering both public health and the surrounding ecosystem.
There is no evidence provided that the soakaway, which was constructed in breach of planning laws, was constructed in a manner that would accommodate run off from a midden.
The current proposals for the midden (and the hard standing areas with soakaways) breach Environment Policy 22 of the Isle of Man Strategic Plan 2016 which reads:
“Development will not be permitted where it would unacceptably harm the environment and/or the amenity of nearby properties in terms of: i) pollution of sea, surface water or groundwater; ii) emissions of airborne pollutants; and iii) vibration, odour, noise or light pollution.”
The proposed midden (and the hard standing areas with soakaways) breach all of grounds of Environment Policy 22.
I would ask the Planning Committee to reject this application which seeks to construct a midden behind my house and in direct view of my bedroom windows.
The access to this field is via Douglas Road which is a freeway. This raises significant concerns:
When the land was only used for agricultural purposes there was no traffic as the land is too small an acreage for commercial purposes and this is why it has only been used for grazing.
The proposed barn, stables, midden and hard standing areas will have a detrimental visual impact on our homes:
This concern directly contravenes General Policy 2(g) of the Isle of Man Strategic Plan 2016, which states:
“Development will not be permitted where it adversely affects the amenity of local residents or the character of the locality.”
The proposed development fails to consider the impact on neighbouring properties, with its current layout creating visual intrusion and a loss of privacy. Best practices for siting such facilities emphasize the importance of ensuring that livestock yards and associated structures are placed out of view of residential properties to minimize disturbance.
I respectfully request that the Planning Committee reject the application on the grounds that the current orientation of the barn, stables and yard unacceptably impacts residential amenity. Should the proposal proceed, I recommend that the barn, stables and yard be repositioned further into the field with its open side oriented away from neighbouring homes, thereby preserving privacy and reducing visual intrusion.
This concern directly contravenes Environment Policy 22(iii) of the Isle of Man Strategic Plan 2016, which states:
“Development will not be permitted where it would unacceptably harm the environment and/or the amenity of nearby properties in terms of... vibration, odour, noise or light pollution.”
The introduction of lighting in what is currently a rural and unlit field would unacceptably alter the character of the countryside and constitute light pollution, which is recognized as detrimental to residential amenity, wildlife, and the natural environment.
I would ask the Planning Committee to carefully consider the adverse effects of external lighting associated with this proposal and reject the application on the grounds that it fails to comply with Environment Policy 22. Should the development proceed, strict conditions should be imposed, such as the use of shielded, low-intensity lighting, ensuring lights are turned off after specified hours to minimize disruption to local residents.
The proposed barn and stables contravene Environment Policy 21 of the Isle of Man Strategic Plan 2016, which states:
“Buildings for the stabling, shelter or care of horses or other animals will not be permitted in the countryside if they would be detrimental to the character and appearance of the countryside in terms of siting, design, size or finish.”
inappropriate for the location and introduces a sense of urbanization into a countryside setting.
d) Visual Intrusion
e) Non-Compliance with Policy Requirements
Environment Policy 21 clearly mandates that new buildings must:
The proposal fails to meet these standards due to its:
Conclusion
The proposed barn and stables do not comply with Environment Policy 21 because their size, design, and placement detract from the rural character of the countryside. The development introduces an urban and industrial aesthetic into a previously natural setting, failing to reflect the sensitivity and integration required by the policy.
I would ask the Planning Committee to reject this application on the grounds that it is incompatible with the strategic aims of preserving and protecting the Isle of Man’s countryside. Alternatively, if approved, the Planning Authority must impose strict conditions, such as relocation further into the field, reduced scale, and mandatory landscaping, to minimize the harm caused by this development.
The proposed facility which is intended to operate as a horse charity will by its very nature have public use, e.g. the Home of Rest for Old Horses is open to the public. This raises significant concerns about parking and access, particularly in a rural area with limited infrastructure to accommodate such activity. Without clear plans to mitigate these impacts, the proposal will create unacceptable disruption to local residents and the surrounding environment.
My concern is that the applicant is seeking to construct a barn and stables in the knowledge that after they are constructed they are to be used for a horse charity and associated public use. The application should address these issues and show how this change of use will impact the area and what steps will be taken to address these issues.
The application in its current form should be rejected as it fails to address all of the issues that will arise from the construction of the buildings for subsequent use as a horse charity.
The retrospective application for the surfacing of the lane and hardstanding works should not be approved due to the following key concerns:
a) Breach of Planning Control
The construction of the metalled lane and hardstanding without prior planning permission constitutes a clear breach of planning control. Granting retrospective permission for such works sets a dangerous precedent, undermining the authority of the Planning Department and encouraging similar unauthorized developments. The applicant’s failure to adhere to proper procedures should not be rewarded.
b) Environmental Impact
The lane and hardstanding works have been constructed without consideration for the proximity of residential properties. The following issues arise:
The metalled lane and hardstanding works have altered the rural character of the site, creating a visually intrusive feature in what was previously a greenfield site. The stone chippings and hardstanding detract from the natural landscape and fail to integrate with the surrounding countryside, violating General Policy 2, which requires developments to respect their surroundings.
The metalled lane and hardstanding facilitate access for large agricultural vehicles and equipment, significantly increasing traffic on the narrow lane and its junction with Douglas Road. This raises several safety concerns:
The applicant has failed to demonstrate that the metalled lane and hardstanding are essential or appropriately planned. Retrospective applications should only be granted in exceptional circumstances, where the benefits of the works outweigh the harm caused. In this case:
The retrospective planning application for the metalled lane and hardstanding should be rejected due to:
I respectfully request that the Planning Authority require the removal of the unauthorized works to restore the site to its original condition. Alternatively, stringent conditions should be imposed to address the environmental and residential concerns if permission is granted.
For the reasons outlined above, I strongly object to this proposal. I urge the Planning Committee to consider the significant environmental, traffic, and residential impacts and reject this application. Should this application proceed, I request that mitigation measures be considered, such as:
Thank you for considering my concerns. I would appreciate acknowledgment of this objection and updates regarding the progress of this application.
Yours faithfully,
Estates Gazette February 28 1981(1980) 257 EG 821 QUEEN'S BENCH DIVISIONAL COURT (Before Lord Justice DONALDSON and Mr Justice KILNER BROWN) December 15 1980
Town and Country Planning Act 1971 — Appeals against decisions of Secretary of State raising points of general interest as to the need for planning permission where land is used in connection with horses — Planning authorities said to be concerned about proliferation of uses of small areas of land for schooling horses, teaching young riders, practising for gymkhanas and other recreational activities connected with horses — Judgments seek to clarify position — Although the use of land as grazing land, being a use for “agriculture”, is not subject to planning control, even if the use is for the grazing of “non-agricultural horses” (ie horses used for recreation), it is necessary to define what is meant by such use — The use must be for the purpose of grazing — Grazing must be the predominant or substantial use — Incidental grazing by horses fed otherwise would not be enough — Common sense rather than reference to legal precedents should be the guide for inspectors and planning officers — In the main appeal the finding of fact that the land was used for grazing could not be attacked — Point raised in other appeal as to need for clarity and precision in enforcement notice — Appellant was admittedly using land only for exercising ponies, not for grazing, but notice required him to desist from using the land as “a paddock” — Notice ambiguous — Strictly speaking, the concept of a paddock is merely that of an enclosure, not a use — In any case, interpreted as a use it could have meant use for grazing, which was not a breach of planning control, just as easily as use for the keeping of ponies — Planning authority’s appeal on the grazing point dismissed — Landowner’s appeal on enforcement notice point allowed
The first-named appeal was by David John Sykes against the Secretary of State and the South Oxfordshire District Council as respondents, the issue being the validity of an enforcement notice served by the second respondents. In the second-named appeal the South Oxfordshire District Council as appellants challenged a decision of the Secretary of State that, in view of a finding of fact that land was used for grazing of horses, there was no breach of planning control. It was argued on behalf of the planning authority that the grazing did not escape planning control unless the horses were themselves used for agricultural purposes. The
respondents to this appeal were the Secretary of State and Timothy B Underwood, Elizabeth Underwood and Peter Brian Lance.
D E W Turriff (instructed by Bircham & Co) appeared on behalf of David John Sykes in the first-named appeal and on behalf of Timothy B Underwood and Elizabeth Underwood, respondents in the second-named appeal; Simon Brown (instructed by the Treasury Solicitor) represented the Secretary of State in both appeals; D N R Latham (instructed by Sherwood & Co, agents for J B Chirnside, chief executive and solicitor, South Oxfordshire District Council) represented the council in both appeals.
Giving judgment, DONALDSON LJ said: Today we have been concerned with two appeals against decisions of the Secretary of State in his planning jurisdiction. Both appeals have something in common in that they raise the question of whether and to what
[1981] 1 EGLR 137 at 138
extent it is necessary to have planning permission if you are using land in connection with horses which are themselves kept for recreational purposes.
Both cases arise in South Oxfordshire. The exact details of the appeal sites are irrelevant for present purposes. In the case of Mr and Mrs Underwood they kept three racehorses, two point-to-point horses, a driving pony, two family ponies and one retired mare which had been badly injured, all on the 2 1/2 acres of land concerned. In the case of Mr Sykes, he kept two show ponies on his rather smaller piece of land.
The Underwoods were successful in their appeal to the Secretary of State, who took the view that what they were doing, as found by the inspector, did not constitute a breach of planning control. In the case of Mr Sykes, he reached the opposite conclusion. In the case of the Underwoods the South Oxfordshire District Council appeals and in the other case Mr Sykes is the appellant.
Let me put Mr Sykes' appeal on one side for the moment because he is only concerned with the second of the two points which arise in the Underwood appeal. He cannot contend in his case that what he was doing was a permitted development because it has been found that he was not using the land for grazing purposes in any way at all. He was using it merely for exercising the ponies. He has, however, a point on the form of the notice to which I will return.
In Mr and Mrs Underwood's case, as I say, the Secretary of State took the view that no planning permission was needed because there was no breach of planning control in the use which they were making of their land, and it is that point which I think has to be examined and it is that point which is of general interest, as I understand it, to the Secretary of State and to planning officers throughout the country.
The matter starts with section 22(2)(e) of the Town and Country Planning Act 1971, which provides:
The following operations or uses of land shall not be taken for the purposes of this Act to involve development of the land, that is to say— ... (e) the use of any land for the purposes of agriculture ...
I think I can omit the rest of the words as being immaterial for present purposes.
"Agriculture" is defined, somewhat indigestibly, in section 290(1) of the Act as follows:
"Agriculture" includes horticulture, fruit growing, seed growing, dairy farming, the breeding and keeping of livestock (including any creature kept for the production of food, wool, skins or fur, or for the purpose of its use in the farming
of land), the use of land as grazing land, meadow land, osier land, market gardens and nursery grounds, and the use of land for woodlands where that use is ancillary to the farming of land for other agricultural purposes, and “agricultural” shall be construed accordingly.
The Secretary of State in his decision letter [Ref APP/5355/C/77/5117 dated May 15 1980] dealt with Mr Underwood's appeal in the following terms. He said:
In regard to ground (b) of the appeal against Notice A, it was argued on behalf of your clients, citing the judgment of the Court in Rutherford v Maurer [1962] 1 QB 16 and McClinton v McFall (1974) 232 EG 707, that the use of the appeal site for the grazing of horses was an agricultural use and, as such, did not amount to development within the meaning of the 1971 Act. The inspector found as facts, which are accepted, that Mr Underwood, purchased the appeal site in 1975 and, since then, it has been used for grazing his horses as an alternative to their accommodation in the stable buildings at “The Well House”. There was no evidence to show that the site had been used for any other purpose in connection with these horses.
The Secretary of State's decision letter continued:
The inspector concluded: “Site A is a well defined field. Although now open to the extreme rear part of the land purchased as the property 'The Well House', that area is not embraced by Notice A and is physically separated from the land containing the buildings concerned in Notice B. Site A should therefore be considered as an isolated planning unit.
“The judgment given in Belmont Farm Ltd v Minister of Housing and Local Government (1962) 13 P & CR 417 was concerned with land and buildings which as a whole were used as a stud farm, a situation not pertaining at Site A.
“The other two cases cited by the appellant's advocate, McClinton v McFall and Rutherford v Maurer, although not concerned with planning law, were concerned with circumstances very similar to those of Notice A. In both cases the courts appeared to have had no doubt that the grazing of land by horses, whatever the purposes of those horses, came within a definition of agriculture similar to that given in section 290 of the 1971 Act.
“Following those last two judgments rather than that given in Belmont Farm Ltd v Minister of Housing and Local Government, as Site A has only been used for the grazing of horses, which can aptly be described as use for the purpose of a horse-paddock and which comes within the definition of agriculture, no development requiring planning permission has occurred by reason of section 22(2)(e) of the 1971 Act, and the appeal succeeds on ground 88(1)(b).”
The Secretary of State continued:
These conclusions have been considered. The inspector's view that Site A is a separate planning unit is accepted, subject to the qualification that that unit is seen as including parts of "The Well House" land to the north of the fence, behind the stables. Though occupied with the remainder of "The Well House" land — comprising the house and its curtilage, including the stables — Site A, together with that northern part of "The Well House" land is seen as being a separate planning unit, as a physically distinct area which has a separate use; namely for grazing horses. Following the inspector's view of the matter, it is further considered that, as a "use of land as grazing land", this use is within the definition of "agriculture" in section 290(1) of the 1971 Act and that, by virtue of section 22(2)(e) of that Act, it is consequently a use which is not to be taken as involving the development of land. From this it follows that the introduction of that use did not constitute a breach of planning control, and the appeal succeeds on ground (b).
Mr Latham for the South Oxfordshire District Council submits that this is wrong and that, properly construed, section 22(2)(e) does not permit the use of land for the grazing of horses unless those horses are themselves being used for agricultural purposes. If you have, for instance, a carthorse, you could graze that on the land assuming that the carthorse would be used for agricultural purposes, although one can of course use carthorses for other purposes. On the other hand, horses which are used purely for recreational purposes are not, he submits, within the definition. If you read the definition literally that clearly is not correct. But Mr Latham relies heavily upon the decision of this court in Belmont Farm Ltd v Minister of Housing and Local Government (1962) 13 P & CR 417.
In that case this court was concerned with a different limb of the definition, namely, the words “keeping of livestock” with its parenthetical qualification relating to creatures kept for the production of food, wool, skins or fur, or for the purpose of its use in the farming of land. This court held that, taking account of that parenthesis, the words “keeping of livestock” had to be restrictively construed and did not cover the keeping of horses for purposes other than agricultural purposes. In Mr Latham's submission, the same approach should be adopted in relation to the words “use of land as grazing land”.
For my part, I see no reason why the words should be construed restrictively in that way. There are no qualifying words such as exist in relation to the words “keeping of livestock”. There are no such qualifying words as exist at the end of the definition in relation to the use of land or woodlands. It is thus quite clear that, if Parliament had intended to qualify the apparent width of the words “use of land as grazing land”, it could have done so, and I see absolutely no reason why we should imply any such limitation.
The whole of the decision in the Belmont Farm case, as appears from the judgment of Lord Parker CJ, turned upon the qualifying words and what was to be implied from them. There is nothing, as I see it, in that judgment which would have any application to the words with which we are concerned. Accordingly I would give them their natural meaning. As it seems to me, faced with the inspector's conclusion of fact that this land — the Underwoods' land — was used for the grazing of horses, the Secretary of State's decision was wholly correct.
The form of the notice of appeal does not permit Mr Latham to attack the findings of fact, and indeed he might have had some difficulties in view of the semi-sacrosanct nature of findings of fact in this field. But it is, I think, fair to say that the Underwoods may perhaps have been fortunate in their findings of fact in this case because it is not, as I see it, every grazing of land by horses which enables an owner of land to say that he does not need planning
[1981] 1 EGLR 137 at 139
permission. Section 22(2)(e) says in terms that what is permitted is the use of the land, and I substitute the relevant part of the definition, for the purposes of using that land as grazing land. The concept of there being more than one cause or more than one purpose is well known to the law.
What an inspector in these circumstances has to decide is: what was the purpose — and I stress the word “the” — for which the land is being used? If horses are simply turned out on to the land with a view to feeding them from the land, clearly the land is being used for grazing. But if horses are being kept on the land and are being fed wholly or primarily by other means so that such grazing as they do is completely incidental and perhaps achieved merely because there are no convenient ways of stopping them doing it, then plainly the land is not being used for grazing but merely being used for keeping the animals. On the other hand, of course, if the animals are put on to a field with a view to their grazing and are kept there for 24 hours a day, seven days a week over a period, it would not, I would have thought, be possible to say that as they were being kept there, they were not being grazed. It is quite possible for horses to be both grazed and kept in the same place.
The predominant question here is: what use was being made of the land? Was it for the purpose of grazing? I do not find any particular difficulty in deciding what is a predominant use. To take an example which I mentioned in argument, if somebody goes to a restaurant and smokes after the meal they do not go to the
restaurant in order to smoke; they go for the meal. There is no difficulty about that. I cannot see any difficulty in most cases in recognising whether the land is being used for grazing or for the keeping of non-agricultural horses. It is only if it is being used for the purpose of grazing that no planning permission is required.
Let me now turn to the second problem, which arises out of the fact that in the case of the Underwoods' enforcement notice they were required to desist from using the land as "a horse paddock", and in the case of Mr Sykes' enforcement notice he was required to desist from using the land as "a paddock". It is unnecessary to say anything about the Underwoods' case since, as I have already said, I would support the Secretary of State's decision in allowing the appeal. Therefore that notice is dead. But as far as the Sykes' notice is concerned, it is crucial because this is the only ground upon which he can have the Secretary of State's decision set aside.
For my part, I think that he is entitled to have it set aside. I say that for this reason. Section 87(6) of the Act provides:
An enforcement notice shall specify — (a) the matters alleged to constitute a breach of planning control; (b) the steps required by the authority to be taken in order to remedy the breach ...
It follows from that, and indeed there is ample authority to support the proposition, that there must be a clear indication to the addressee of the notice as to what it is that he is doing wrong and what he must do in order to stop doing it. Both those propositions call for some clarity of expression on the part of those who prepare the enforcement notice. To require somebody to stop using land as a paddock seems to me to be wholly lacking in any clarity whatever. It is open, to start with, to the comment that you do not use land as a paddock; it either is or is not a paddock. A paddock is not a concept of use at all; it is a concept perhaps of enclosure. But Mr Brown says that in this context it must mean "for the keeping of horses". It seemed to me that it could equally well mean "for the grazing of horses", which is not a breach of planning control at all. It is a thoroughly unsatisfactory term, and as it is ambiguous as well as being unsatisfactory I think that the section is not complied with. In the case of Mr Sykes' appeal, too, I would allow the appeal and remit the matter to the Secretary of State for further consideration.
Agreeing, KILNER BROWN J said: With regard to the question of principle which this court was asked to consider, it seems to me that in this situation, as we are told and it may well be so, there is growing anxiety felt by a number of local authorities as to the proliferation of small areas of land used for the purpose either of keeping horses for recreational purposes or alternatively for using them for schooling or for teaching young riders, particularly in the more difficult art of show jumping and performing in gymkhanas. But in the end it is always a question of common sense. I would have thought that planning officers in the first place should apply the sort of test which my Lord has indicated and to see really what is the land used for, and, as Mr Brown for the Secretary of State rightly said, you look to see what is its substantial use. It is easy enough to detect the situation where a piece of land — a paddock, a small meadow, call it what you like — is simply used for the purpose of schooling horses or training young riders. The amount of grazing which occurs on that land is merely incidental while each horse and rider is waiting his or her turn to be trained. On the other hand, there may be, as the inspector found in the case of the Underwoods, normally speaking a degree of actual and substantial grazing which was carried out.
Again I would deprecate the use of reference to authorities such as those which were cited before the inspector. In view of the judgment given by my Lord, I would hope that henceforth inspectors and planning officers would be able to approach the growing problem using their common sense, assessing each situation upon the facts as they appear to be. Having said that, I agree with the judgment of my Lord.
The appeal by Mr Sykes was allowed with costs against the district council. The appeal by the district council against the Secretary of State and others was dismissed with costs.
EXHIBIT D
Application No. 24/91021/B Applicant: Brigittes Sanctuary Proposal Erection of stables and agricultural building, creation of hardstanding (part retrospective) and creation of pond (retrospective) Site Address Field 434087 Douglas Road Ballasalla Isle Of Man IM9 2AN
Case Officer: Vanessa Porter Photo Taken: Site Visit: Expected Decision Level: Planning Committee
Recommended Decision: Permitted Date of Recommendation: 02.01.2025
C: Conditions for approval N: Notes attached to conditions
C 1. The development hereby approved shall be begun before the expiration of four years from the date of this decision notice.
Reason: To comply with Article 26 of the Town and Country Planning (Development Procedure) Order 2019 and to avoid the accumulation of unimplemented planning approvals.
C 2. The stables hereby approved must be used only for equestrian/agricultural purposes only and shall not be used for any commercial use or commercial purposes.
Reason: The application has been assessed on this private use only as requested in the application.
C 3. In the event that the stable block approved is no longer used or required for equestrian/agricultural activities, the stable block and its associated structures shall be removed and the ground restored to its former condition within 12 months of the date the use ceased.
Reason: The stable block has been permitted solely in conjunction with the applicants existing use and its subsequent retention without that need would result in an unwarranted feature in the countryside contrary to Strategic Policy 4 and General Policy 2 of the Isle of Man Strategic Plan 2016.
C 4. For the avoidance of doubt, the proposed sod hedge shall be constructed in full accordance with the details shown on the approved drawings (drwg. no. 001 Rev A).
Reason: To safeguard the visual amenities of the locality and in the interests of biodiversity.
C 5. For the avoidance of doubt there shall be no permanent siting or any external storage of any horse jumps, horse boxes or any other associated equestrian paraphernalia on the land edged red on Drawing No. 001 Rev A.
Reason: The application has been assessed on the use of the fields for general exercise and grazing only and not for any other use. In the interest of ensuring no overspill of equestrian equipment over the fields in the interest of visual amenity.
This application has been recommended for approval for the following reason.
The application is deemed to comply with General Policies 2 and 3, Environment Policies 1, 19 and 21 and Transport Policy 4 of the Isle of Man Strategic Plan 2016
Plans/Drawings/Information;
This decision relates to the following plans and drawings, date received on 6th September 2024;
This decision also relates to the following drawings dated received on 26th November 2024;
It is recommended that the following organisations should NOT be given the Right to Appeal: DOI Highway Services - No objection DEFA Boildiversity - No objection Malew Commissioners – Objection withdrawn prior to Committee therefore assessment was to give evidence only It is recommended that the following organisations should be given the Right to Appeal: 7 Meadow Court - Objection The Willows - Objection
THIS APPLICATION IS REFERRED TO THE PLANNING COMMITTEE AS THE APPLICATION IS RECOMMENDED APPROVAL AND THE LOCAL AUTHORITY RECOMMEND REFUSAL.
1.1 The application site comprises of Field No.434087, which is separated into several paddocks situated to the Western side of Douglas Road. The field is accessed from Douglas Road via a single-track road between the properties "The Willows to the South West and "Donina," No.1 Meadow Court to the North East.
1.2 Due to the topography of the land, which sloped upward from South East to North West to the middle of the field and then slopes down South East to North West, parts of the land is viewable when directly opposite the access and also within the housing estates surrounding the site.
THE PROPOSAL
2.1 The current Planning Application seeks approval for the installation of an existing gravel hardstanding (retrospective), an L shaped horse stable and hay store, additional gravel hardstanding, sod hedge mitigation and the creation of a pond.
2.2 The L shaped stable block is to measure 15.858m by 13.570m with the overall height being 4.070m. The stable block will provide three 3.670m by 3.813m stables, a medicine/ secure store, a feed store and a hay store. The stable block is going to be larch/cedar clad with Tapco synthetic slates.
2.3 The pond is situated to the middle of the field and is proposed to be cut out of the existing ground.
2.4 The Design Statement provided with the application states the following justification for the proposal,
Livestock to be kept on site:
Machinery to be kept off site:
Feed and medicines to be kept on site:
Prescribed Veterinary medication for horses/ponies for COPD, Sweet Itch.
Sheep Wormers, Fly Drenches, Vitamins, Mineral Blocks, hoof care & general welfare products.
3.1 There has been one previous application on the site PA22/01433/B which was for the "Erection of a replacement agricultural building," which was withdrawn.
4.1 The field access to the site lies within an area zoned as "Predominantly Residential" with the field in question being zoned as "Not for Development," on the Area Plan for the South, map 4 - Ballasalla. The site is not situated within a Conservation Area, nor a Flood Risk Zone
4.2 The following policies from the 2016 Strategic Plan are considered pertinent in the assessment of this application;
General Policy 2 - General Development Considerations General Policy 3 - Exceptions to development in the countryside Environment Policy 1 - Protection of the countryside Environment Policy 14 - land within classes 1-2 require overriding need for development Environment Policy 15 - Development of agricultural buildings in the countryside Environment Policy 19- Equestrian development in the countryside Environment Policy 21 - Development for stabling or shelter of animals in the countryside Transport Policy 4 - Highways safety
4.3 In the absence of specific Manx guidance, the 'Code of practice for the welfare of horses, ponies, donkeys and their hybrids' (December 2017) produced by the UK Department for Environment Food and Rural Affairs (DEFRA) is given material weight in the determination of this application. Although it should be noted that DEFA have recently consulted on a series of animal welfare codes and it is anticipated that the codes of practice when agreed will be laid before Tynwald, should the Animal Welfare Bill 2023 gain Royal Assent. The content of the Animal welfare code of practice for horses, ponies, donkeys and their hybrids is largely the same as the England Animal Welfare Code of Practice for horses, ponies, donkeys and their hybrids.
5.1 The following representations can be found in full online;
5.2 Highway Services initially considered the application on several occasions to which they "Do not oppose" the application. (02.01.24)
5.3 Malew Commissioners have considered the application and state that they consider the proposal to be an overdevelopment of the site with no agricultural justification. (24.10.24)
5.4 DEFA Ecosystems Policy Officer has written in to request that a condition is attached that the landscaping is undertaken as per the Landscaping Drawing (Drawing No. 001). (27.09.24)
5.5 The Owner/ Occupier from 7 Meadow Court has written in to object to the proposal on the basis of traffic, highway safety, noise and long-term maintenance of the site. (3.10.24 & 17.12.24)
5.6 The Owner/Occupier of "The Willows" has written in to object to the proposal on the basis of highway safety, the hardstanding, overdevelopment of the site and animal welfare. (1.10.24)
6.1 The main issues to consider in the assessment of this planning application are:
6.2.1 the starting point with any application is the land designation, which for the area in question for this application is "not for development," and whether the proposal would comply with the relevant planning policies in connection with the land designation.
6.2.2 As the site in question falls within an area not zoned for development on the Area Plan for the East, there is a general presumption against development within the countryside with development being focused towards defined settlements in accordance with Spatial Policy 5.
6.2.3 Section 4 of this report highlights that there is a provision within the Isle of Man Strategic Plan for equestrian related development as an exception to the presumption against development in the countryside. Paragraph 7.15.1 of the Isle of Man Strategic Plan 2016 recognises that equestrian activities are becoming increasingly popular and may have adverse impact on the character and appearance of the countryside. Among other things, sensitive siting and high standards of design, construction, and maintenance are necessary to ensure that there are no such impacts. This is followed by Environment Policy 19 which allows for the development of equestrian activities in the countryside where they would be no loss of local amenity, no loss of high quality agricultural land and where there would be no highways issues and Environment Policy 21 which resists the construction of stables in rural areas where they would be detrimental to the character and appearance of the countryside in terms of siting, design, size and finish. Any new building must be designed in a form and materials to reflect their specific purpose.
6.2.4 As identified within the Isle of Man Strategic Plan 2016, equestrian activities can only be situated within open, rural countryside, as such the general principle of equestrian is acceptable. Whilst this is the case, it is necessary to assess whether the siting, scale, character is acceptable in relation to the surrounding countryside and whether there are any other impacts from the proposal.
6.3.1 Whilst the existing land has been used as a mixture of equestrian (horses) and sheep (agricultural) on the land, without prior Planning Permission (for the equestrian side). As stables are to be added to the site, the additional use as equestrian needs to be assessed, as the equestrian use of the land in this instance would not constitute agricultural. The proposed equestrian use of the land in this instance would provide suitable grazing area for the keeping of horses and would be without the loss of high quality agricultural land.
6.3.2 The soil classification map indicates this area as being Urban, as such there is no reduction in valuable grazing land as per Environment Policy 14.
6.3.3 Minded that the site is still being used partly for agricultural and can revert to an agricultural completely, which could happen at any time given agriculture use does not constitute development and can be undertaken without the need for a planning application in line with The Town and Country Planning Act 1999. For the avoidance of doubt a condition revoking any external storing of horse jumps or any other similar horse exercising equipment is necessary given the application has not sought approval for any of these within the fields.
6.4.1 When looking at the proposal in terms on whether the proposal is suitable for the propose use it is necessary to note as per section 2 of this report, the applicants state they have one horse and three ponies, one of which is out on loan.
6.4.2 The British Horse Society recommends for a pony a minimum stable space of is required and for a horse a minimum stable requirement of by to be provided, the proposal within this application includes three stables measuring by , with the stable doors measuring , as such from this point of view the stables are sized to meet the basic needs of a horse.
6.4.3 When noting the area of land which is approximately 6 acres, there is a question on whether the proposal is an overdevelopment, in terms of the proposed animals on the land. The applicants state in addition to the one horse and two ponies they have an additional 10 sheep and 38 geese. When looking at the land available the split would be as per the British Poultry Council, 40 geese to 1 acre, six sheep to 1 acre as per the National Sheep Association and 1.5
acre for the first horse, with an acre for every subsequent horses afterwards as per The British Horse Society.
6.4.4 Overall whilst having regard for the above, it is considered that the need for a stable of the size sought has been acceptably demonstrated in this case.
6.5.1 When looking at the character and appearance of the proposed stable block it can be seen to be a timber build which is of a scale and height of a typical stable block which can be seen all over the island.
6.5.2 Whilst there will be views of the stable block from some areas outside of the site, these will be either fleeting or from a distance, with any views of the proposal being read in the context of its surrounding and as such it would not be seen as unduly intrusive or an incongruous feature in the countryside here, nor would it break the skyline or have a dominating visual impact.
6.6.1 In terms of the visual impact of the pond, it is noted that the pond whilst at the top of the hill, is within a part which isn't publicly visible outside the site and noting that there are no objections from consultees regarding the pond.
6.6.2 On the whole, the proposal is not considered to have any greater impact on the surrounding area or countryside than the existing stables building and is deemed acceptable in accordance with Environmental policy 1 and 21.
6.7.1 Turning towards the proposed sod hedge situated around the proposed stable block, sod hedges and banks are common place in the countryside as such whilst they might be noticeable from outside the site it is unlikely the they will impact the countryside above and beyond the existing. DEFA Biodiversity have recommended that the sod hedge be planted as per the details provided in Drawing No. 1, as such a condition should be attached to specify this request.
6.8.1 Lastly in relation to the impact of the proposal on Highway Services, a discussion was undertaken by Highway Services with the agent on behalf of the applicant, which at the end of the discussion, the conclusion is that Highway Services do not object to the proposal. On the basis that they are the experts who deal with the egress and regress of entry onto and off a Highway, their comments hold significant weight.
6.8.2 Given the above, whilst it is noted that the proposal is expected to generate some level of traffic relative to its scale of operations, the scale of activities on site (given the nature of the holding) and the fact that the proposal does not create a new or alters an existing access and is not having additional users entering or existing the site, the proposal is deemed to align with the principles of General Policy 2 (h & i), Transport Policy 4, and Environment Policy 19.
7.1 Overall the proposal of the erection of stable block, gravelled area and pond are considered to be acceptable, whilst the design, scale, form and layout of the proposed development is also deemed to be appropriate in the context of the site's rural location, without detriment to the character and appearance of the wider landscape, nor Highway Safety.
7.2 The application is therefore considered compliant with General Policies 2 and 3, Environment Policies 1, 19 and 21 and Transport Policy 4 of the Isle of Man Strategic Plan 2016. The application is therefore recommended for approval.
8.1 The Town and Country Planning (Development Procedure) Order 2019 sets out the process for determining planning applications (including appeals). It sets out a Right to Appeal (i.e. to submit an appeal against a planning decision) and a Right to Give Evidence at Appeals (i.e. to participate in an appeal if one is submitted).
8.2 Article A10 sets out that the right to appeal is available to:
8.3 Article 8(2)(a) requires that in determining an application, the Department must decide who has a right to appeal, in accordance with the criteria set out in article A10.
8.4 The Order automatically affords the Right to Give Evidence to the following (no determination is required):
I can confirm that this decision has been made by the Planning Committee in accordance with the authority afforded to the it by the appropriate DEFA Delegation and that in making this decision the Committee has agreed the recommendation in relation to who should be afforded Interested Person Status.
Decision Made: ...Permitted... Committee Meeting Date:...13.01.2025 Signed: ...V PORTE... Presenting Officer
Further to the decision of the Committee an additional report/condition reason was required (included as supplemental paragraph to the officer report).
Signatory to delete as appropriate YES/NO See below
Customer note This copy of the officer report reflects the content of the file copy and has been produced in this form for the benefit of our online services/customers and archive records.
| Application No. : | 24/91021/B |
| Applicant : | Brigittes Sanctuary |
| Proposal : | Erection of stables and agricultural building, creation of hardstanding (part retrospective) and creation of pond (retrospective) |
| Site Address : | Field 434087 Douglas Road Ballasalla Isle Of Man IM9 2AN |
| Planning Officer : | Vanessa Porter |
| Presenting Officer | As above |
13.01.2025
The case officer updated the Planning Committee on an update from Malew Commissioners, which had withdrew its objection, and two further objections from the owner/occupier of "The Willows" which were online but not referenced in the officers report. The officer also confirmed that paragraph 6.4.3 referred to the wrong field size.
Planning Committee unanimously agreed with the officer's recommendation with the alteration on Condition 5 to remove mention of Horse Boxes and to add three additional conditions regarding lighting, the removal of the existing structures and the entrance track.
Revised Condition 5,
C 5. For the avoidance of doubt there shall be no permanent siting or any external storage of any horse jumps or any other associated equestrian paraphernalia on the land edged red on Drawing No. 001 Rev A.
Reason: The application has been assessed on the use of the fields for general exercise and grazing only and not for any other use. In the interest of ensuring no overspill of equestrian equipment over the fields in the interest of visual amenity.
Additional Conditions
C6. There shall be no external lighting at the site unless full lighting plan details have been first submitted to and approved in writing by the Department, such details shall include position of lights, level of illumination and cowl details. Any external lighting shall then only be installed in full accordance with the approved lighting plan.
Reason: For the avoidance of doubt and in the interests of Neighbouring Amenity.
C7. The existing structures on site shall be removed from the site within one month of the new stable block being ready for use.
Reason: To ensure proper control of the development in the open countryside and to reflect the information provided in the application. C8. Prior to commencement, the existing entrance track into the field must be a consolidated hard surface. Reason: in the interest of Highway Services and Drainage.
EXHIBIT E
Dear Sir/Madam,
I am writing to formally object to the planning application (reference 24/91021/B) for the erection of a stables and the construction of an agricultural building, creation of hardstanding (part retrospective) and creation of pond (retrospective) on Field 434087, Douglas Road, Ballasalla, which is directly behind my property The Willows on Douglas Road, Ballasalla.
While I recognise the applicant’s intention to establish and operate a horse charity for public use from the land, I have significant concerns regarding the impact on residential amenity, environmental risks, road safety hazards and non compliance with the Isle of Man Strategic Plan 2016 policies.
General Policy 3 of the Island Plan states:
> “Development will not be permitted outside of those areas which are zoned for development on the appropriate Area Plan”
The land is agricultural land and is not zoned for development on an Area Plan. The proposed uses of the land in the application mean that the land will need a change of use to equestrian and this is development.
The application gives no grounds as to why this overriding policy should not be followed in this case.
The applicant states that the land is designated as agricultural land and is to be used for the agricultural purposes of providing pasture and grazing on the site.
While it is not disputed that horses have grazed on the land since Redacted purchased the land on 31st May 2000, the proposals are not in the nature of agricultural use and instead
are a material change of use to equestrian purposes which requires planning permission under the Town and Country Planning Act 1999 and the Town and Country Planning (Use Classes) Order 2019.
The Town and Country Planning (Use Classes) Order 2019 states in its notes:
“There are some uses which do not fall within any particular use class, meaning that the change from or to such a use always constitutes development. Such uses sometimes referred to as being Sui Generis. These uses are set out in Article 5.”
Article 5(2)(r) is the category agriculture and any change from agricultural use will constitute development and require specific planning consent.
Using land solely for grazing horses typically falls under the agricultural use classification. This means that if horses are turned out on the land primarily to feed on the natural vegetation without supplementary feeding, riding, or other activities such as horse jumping, the land retains its agricultural status. In such cases, planning permission for change of use is generally not required.
When horses are kept on the land for purposes beyond mere grazing—such as recreational riding, training, horse jumping or if they are provided with significant supplemental feed—the primary use shifts from agriculture to equestrian. This change constitutes a material change of use, necessitating planning permission. Factors that may indicate a shift to equestrian use include:
Courts have addressed the distinction between agricultural and equestrian uses. For instance, in Sykes v. Secretary of State for the Environment¹, it was determined that using land for grazing horses constitutes agriculture only if grazing is the sole activity. Introducing supplementary feeding or riding alters the land’s primary use to equestrian, requiring planning permission.
¹ Sykes v Secretary of State for the Environment and another South Oxfordshire District Council v Secretary of State for the Environment and others [1981] 1 EGLR 137
If land in the Isle of Man is used exclusively for grazing horses, it is considered agricultural, and no change of use planning permission is needed. However, incorporating activities like riding, training, or supplementary feeding changes the land's use to equestrian, necessitating planning permission for a change of use.
The application set out that the building will be used for the storage of supplemental feed and includes stables, a tack room and a storage barn for feed.
The application states:
This includes substantial horse feed beyond what the pasture offers and requires a change of the use to equestrian.
The application includes a proposal to build a 102m² stable block consisting of 3 stables and a tack room. The application explains that the stable block is to be used by the horse which is on site at present and a pony which is out on loan to a 3rd party for carriage driving & ridden purposes and two ponies currently stabled off site. The horses are to be used for recreational riding and following Sykes v. Secretary of State for the Environment this application requires a change of use to equestrian before a planning application can be brought for stables and a tack room.
Similarly the agricultural barn does not appear to be in the nature of a barn for agricultural purposes. The only true agricultural purpose being undertaken on the land is the grazing of the horse, sheep and geese.
This is not an agricultural use that currently necessitates a barn as grazing has taken place on the land for over 20 years without the need for a barn and there is an existing field shelter
on the site. The application explains that the barn is to store hay and food for the horses, medication and tack which is equestrian use rather than agricultural.
One factor that indicates land is being used for equestrian rather than agricultural use is the presence of equestrian structures such as jumps.
In the planning application there is a photograph entitled:
“Photo showing existing machinery and equipment to be housed in the proposed machinery store and currently stored outside.”
This photograph clearly shows blue jumps and it would appear that the land is already being used for non agricultural equestrian purposes in contravention of planning laws. This is clear evidence that the land and proposed structures including the “agricultural barn” is to be used not as agricultural land and buildings but as equestrian land and buildings.
The application includes a midden which is clearly visible from the rear bedroom windows of my property.
When horses, sheep and geese graze on agricultural land they do not require a midden to be built as they naturally manage the land. Agricultural land used for the grazing of horses would be managed by occasional harrowing which puts the manure back into the ground. A midden is only used when horses are stabled. The midden is used to hold dirty horse bedding and horse manure from the stables and in practice can be one to two meters high and necessitates the use of a tractor to manage it.
The use of a midden would require the land to be rezoned for equestrian use. The use of a midden on agricultural land would be a change of use requiring planning permission. This application does not seek a change of use from agricultural to equestrian.
I note that this is a new planning application and the previous one was withdrawn. I objected to the previous application and now note that this new application places a midden behind my bedroom window together with the busy stables yard. Persons using the yard will face my bedroom windows and I will overlook them and the midden on this new application.
The midden is proposed to be constructed in an area surrounded by residential houses. A midden should not be constructed close to residential houses for the following reasons:
a) Odor and Air Quality
b) Attraction of Pests
c) Water Pollution
The application states: "The hardstanding layed in the eastern corner of the site seeking retrospective permission contains a soakaway which was installed in order to reduce the run-off onto neighbouring properties."
The midden effluent is likely to run off into the soakaway that has been constructed without planning adjacent to the neighbouring properties.
The effluent from the midden soaking into the unplanned soakaway poses a significant environmental risk, as it can lead to the contamination of local watercourses and soil with harmful bacteria, nutrients, and pollutants, potentially breaching environmental regulations and endangering both public health and the surrounding ecosystem.
There is no evidence provided that the soakaway, which was constructed in breach of planning laws, was constructed in a manner that would accommodate run off from a midden.
The current proposals for the midden (and the hard standing areas with soakaways) breach Environment Policy 22 of the Isle of Man Strategic Plan 2016 which reads:
“Development will not be permitted where it would unacceptably harm the environment and/or the amenity of nearby properties in terms of: i) pollution of sea, surface water or groundwater; ii) emissions of airborne pollutants; and iii) vibration, odour, noise or light pollution.”
The proposed midden (and the hard standing areas with soakaways) breach all of grounds of Environment Policy 22.
e) Visual Impact
f) Health Risks
g) Legal and Regulatory Concerns
h) Alternative Locations
I would ask the Planning Committee to reject this application which seeks to construct a midden behind my house and in direct view of my bedroom windows.
The access to this field is via Douglas Road which is a freeway. This raises significant concerns:
When the land was only used for agricultural purposes there was no traffic as the land is too small an acreage for commercial purposes and this is why it has only been used for grazing.
The proposed barn, stables, midden and hard standing areas will have a detrimental visual impact on our homes:
This concern directly contravenes General Policy 2(g) of the Isle of Man Strategic Plan 2016, which states:
“Development will not be permitted where it adversely affects the amenity of local residents or the character of the locality.”
The proposed development fails to consider the impact on neighbouring properties, with its current layout creating visual intrusion and a loss of privacy. Best practices for siting such facilities emphasize the importance of ensuring that livestock yards and associated structures are placed out of view of residential properties to minimize disturbance.
I respectfully request that the Planning Committee reject the application on the grounds that the current orientation of the barn, stables and yard unacceptably impacts residential amenity. Should the proposal proceed, I recommend that the barn, stables and yard be repositioned further into the field with its open side oriented away from neighbouring homes, thereby preserving privacy and reducing visual intrusion.
This concern directly contravenes Environment Policy 22(iii) of the Isle of Man Strategic Plan 2016, which states:
“Development will not be permitted where it would unacceptably harm the environment and/or the amenity of nearby properties in terms of... vibration, odour, noise or light pollution.”
The introduction of lighting in what is currently a rural and unlit field would unacceptably alter the character of the countryside and constitute light pollution, which is recognized as detrimental to residential amenity, wildlife, and the natural environment.
I would ask the Planning Committee to carefully consider the adverse effects of external lighting associated with this proposal and reject the application on the grounds that it fails to comply with Environment Policy 22. Should the development proceed, strict conditions should be imposed, such as the use of shielded, low-intensity lighting, ensuring lights are turned off after specified hours to minimize disruption to local residents.
The proposed barn and stables contravene Environment Policy 21 of the Isle of Man Strategic Plan 2016, which states:
“Buildings for the stabling, shelter or care of horses or other animals will not be permitted in the countryside if they would be detrimental to the character and appearance of the countryside in terms of siting, design, size or finish.”
inappropriate for the location and introduces a sense of urbanization into a countryside setting.
d) Visual Intrusion
e) Non-Compliance with Policy Requirements
Environment Policy 21 clearly mandates that new buildings must:
The proposal fails to meet these standards due to its:
Conclusion
The proposed barn and stables do not comply with Environment Policy 21 because their size, design, and placement detract from the rural character of the countryside. The development introduces an urban and industrial aesthetic into a previously natural setting, failing to reflect the sensitivity and integration required by the policy.
I would ask the Planning Committee to reject this application on the grounds that it is incompatible with the strategic aims of preserving and protecting the Isle of Man’s countryside. Alternatively, if approved, the Planning Authority must impose strict conditions, such as relocation further into the field, reduced scale, and mandatory landscaping, to minimize the harm caused by this development.
The proposed facility which is intended to operate as a horse charity will by its very nature have public use, e.g. the Home of Rest for Old Horses is open to the public. This raises significant concerns about parking and access, particularly in a rural area with limited infrastructure to accommodate such activity. Without clear plans to mitigate these impacts, the proposal will create unacceptable disruption to local residents and the surrounding environment.
My concern is that the applicant is seeking to construct a barn and stables in the knowledge that after they are constructed they are to be used for a horse charity and associated public use. The application should address these issues and show how this change of use will impact the area and what steps will be taken to address these issues.
The application in its current form should be rejected as it fails to address all of the issues that will arise from the construction of the buildings for subsequent use as a horse charity.
The retrospective application for the surfacing of the lane and hardstanding works should not be approved due to the following key concerns:
a) Breach of Planning Control
The construction of the metalled lane and hardstanding without prior planning permission constitutes a clear breach of planning control. Granting retrospective permission for such works sets a dangerous precedent, undermining the authority of the Planning Department and encouraging similar unauthorized developments. The applicant’s failure to adhere to proper procedures should not be rewarded.
b) Environmental Impact
The lane and hardstanding works have been constructed without consideration for the proximity of residential properties. The following issues arise:
The metalled lane and hardstanding works have altered the rural character of the site, creating a visually intrusive feature in what was previously a greenfield site. The stone chippings and hardstanding detract from the natural landscape and fail to integrate with the surrounding countryside, violating General Policy 2, which requires developments to respect their surroundings.
The metalled lane and hardstanding facilitate access for large agricultural vehicles and equipment, significantly increasing traffic on the narrow lane and its junction with Douglas Road. This raises several safety concerns:
The applicant has failed to demonstrate that the metalled lane and hardstanding are essential or appropriately planned. Retrospective applications should only be granted in exceptional circumstances, where the benefits of the works outweigh the harm caused. In this case:
The retrospective planning application for the metalled lane and hardstanding should be rejected due to:
I respectfully request that the Planning Authority require the removal of the unauthorized works to restore the site to its original condition. Alternatively, stringent conditions should be imposed to address the environmental and residential concerns if permission is granted.
For the reasons outlined above, I strongly object to this proposal. I urge the Planning Committee to consider the significant environmental, traffic, and residential impacts and reject this application. Should this application proceed, I request that mitigation measures be considered, such as:
Thank you for considering my concerns. I would appreciate acknowledgment of this objection and updates regarding the progress of this application.
Yours faithfully,
Redacted
Redacted
Estates Gazette February 28 1981(1980) 257 EG 821 QUEEN'S BENCH DIVISIONAL COURT (Before Lord Justice DONALDSON and Mr Justice KILNER BROWN) December 15 1980
Town and Country Planning Act 1971 — Appeals against decisions of Secretary of State raising points of general interest as to the need for planning permission where land is used in connection with horses — Planning authorities said to be concerned about proliferation of uses of small areas of land for schooling horses, teaching young riders, practising for gymkhanas and other recreational activities connected with horses — Judgments seek to clarify position — Although the use of land as grazing land, being a use for “agriculture”, is not subject to planning control, even if the use is for the grazing of “non-agricultural horses” (ie horses used for recreation), it is necessary to define what is meant by such use — The use must be for the purpose of grazing — Grazing must be the predominant or substantial use — Incidental grazing by horses fed otherwise would not be enough — Common sense rather than reference to legal precedents should be the guide for inspectors and planning officers — In the main appeal the finding of fact that the land was used for grazing could not be attacked — Point raised in other appeal as to need for clarity and precision in enforcement notice — Appellant was admittedly using land only for exercising ponies, not for grazing, but notice required him to desist from using the land as “a paddock” — Notice ambiguous — Strictly speaking, the concept of a paddock is merely that of an enclosure, not a use — In any case, interpreted as a use it could have meant use for grazing, which was not a breach of planning control, just as easily as use for the keeping of ponies — Planning authority’s appeal on the grazing point dismissed — Landowner’s appeal on enforcement notice point allowed
The first-named appeal was by David John Sykes against the Secretary of State and the South Oxfordshire District Council as respondents, the issue being the validity of an enforcement notice served by the second respondents. In the second-named appeal the South Oxfordshire District Council as appellants challenged a decision of the Secretary of State that, in view of a finding of fact that land was used for grazing of horses, there was no breach of planning control. It was argued on behalf of the planning authority that the grazing did not escape planning control unless the horses were themselves used for agricultural purposes. The
respondents to this appeal were the Secretary of State and Timothy B Underwood, Elizabeth Underwood and Peter Brian Lance.
D E W Turriff (instructed by Bircham & Co) appeared on behalf of David John Sykes in the first-named appeal and on behalf of Timothy B Underwood and Elizabeth Underwood, respondents in the second-named appeal; Simon Brown (instructed by the Treasury Solicitor) represented the Secretary of State in both appeals; D N R Latham (instructed by Sherwood & Co, agents for J B Chirnside, chief executive and solicitor, South Oxfordshire District Council) represented the council in both appeals.
Giving judgment, DONALDSON LJ said: Today we have been concerned with two appeals against decisions of the Secretary of State in his planning jurisdiction. Both appeals have something in common in that they raise the question of whether and to what
[1981] 1 EGLR 137 at 138
extent it is necessary to have planning permission if you are using land in connection with horses which are themselves kept for recreational purposes.
Both cases arise in South Oxfordshire. The exact details of the appeal sites are irrelevant for present purposes. In the case of Mr and Mrs Underwood they kept three racehorses, two point-to-point horses, a driving pony, two family ponies and one retired mare which had been badly injured, all on the 2 1/2 acres of land concerned. In the case of Mr Sykes, he kept two show ponies on his rather smaller piece of land.
The Underwoods were successful in their appeal to the Secretary of State, who took the view that what they were doing, as found by the inspector, did not constitute a breach of planning control. In the case of Mr Sykes, he reached the opposite conclusion. In the case of the Underwoods the South Oxfordshire District Council appeals and in the other case Mr Sykes is the appellant.
Let me put Mr Sykes' appeal on one side for the moment because he is only concerned with the second of the two points which arise in the Underwood appeal. He cannot contend in his case that what he was doing was a permitted development because it has been found that he was not using the land for grazing purposes in any way at all. He was using it merely for exercising the ponies. He has, however, a point on the form of the notice to which I will return.
In Mr and Mrs Underwood's case, as I say, the Secretary of State took the view that no planning permission was needed because there was no breach of planning control in the use which they were making of their land, and it is that point which I think has to be examined and it is that point which is of general interest, as I understand it, to the Secretary of State and to planning officers throughout the country.
The matter starts with section 22(2)(e) of the Town and Country Planning Act 1971, which provides:
The following operations or uses of land shall not be taken for the purposes of this Act to involve development of the land, that is to say— ... (e) the use of any land for the purposes of agriculture ...
I think I can omit the rest of the words as being immaterial for present purposes.
"Agriculture" is defined, somewhat indigestibly, in section 290(1) of the Act as follows:
"Agriculture" includes horticulture, fruit growing, seed growing, dairy farming, the breeding and keeping of livestock (including any creature kept for the production of food, wool, skins or fur, or for the purpose of its use in the farming
of land), the use of land as grazing land, meadow land, osier land, market gardens and nursery grounds, and the use of land for woodlands where that use is ancillary to the farming of land for other agricultural purposes, and “agricultural” shall be construed accordingly.
The Secretary of State in his decision letter [Ref APP/5355/C/77/5117 dated May 15 1980] dealt with Mr Underwood's appeal in the following terms. He said:
In regard to ground (b) of the appeal against Notice A, it was argued on behalf of your clients, citing the judgment of the Court in Rutherford v Maurer [1962] 1 QB 16 and McClinton v McFall (1974) 232 EG 707, that the use of the appeal site for the grazing of horses was an agricultural use and, as such, did not amount to development within the meaning of the 1971 Act. The inspector found as facts, which are accepted, that Mr Underwood, purchased the appeal site in 1975 and, since then, it has been used for grazing his horses as an alternative to their accommodation in the stable buildings at “The Well House”. There was no evidence to show that the site had been used for any other purpose in connection with these horses.
The Secretary of State's decision letter continued:
The inspector concluded: “Site A is a well defined field. Although now open to the extreme rear part of the land purchased as the property 'The Well House', that area is not embraced by Notice A and is physically separated from the land containing the buildings concerned in Notice B. Site A should therefore be considered as an isolated planning unit.
“The judgment given in Belmont Farm Ltd v Minister of Housing and Local Government (1962) 13 P & CR 417 was concerned with land and buildings which as a whole were used as a stud farm, a situation not pertaining at Site A.
“The other two cases cited by the appellant's advocate, McClinton v McFall and Rutherford v Maurer, although not concerned with planning law, were concerned with circumstances very similar to those of Notice A. In both cases the courts appeared to have had no doubt that the grazing of land by horses, whatever the purposes of those horses, came within a definition of agriculture similar to that given in section 290 of the 1971 Act.
“Following those last two judgments rather than that given in Belmont Farm Ltd v Minister of Housing and Local Government, as Site A has only been used for the grazing of horses, which can aptly be described as use for the purpose of a horse-paddock and which comes within the definition of agriculture, no development requiring planning permission has occurred by reason of section 22(2)(e) of the 1971 Act, and the appeal succeeds on ground 88(1)(b).”
The Secretary of State continued:
These conclusions have been considered. The inspector's view that Site A is a separate planning unit is accepted, subject to the qualification that that unit is seen as including parts of “The Well House” land to the north of the fence, behind the stables. Though occupied with the remainder of “The Well House” land — comprising the house and its curtilage, including the stables — Site A, together with that northern part of “The Well House” land is seen as being a separate planning unit, as a physically distinct area which has a separate use; namely for grazing horses. Following the inspector's view of the matter, it is further considered that, as a “use of land as grazing land”, this use is within the definition of “agriculture” in section 290(1) of the 1971 Act and that, by virtue of section 22(2)(e) of that Act, it is consequently a use which is not to be taken as involving the development of land. From this it follows that the introduction of that use did not constitute a breach of planning control, and the appeal succeeds on ground (b).
Mr Latham for the South Oxfordshire District Council submits that this is wrong and that, properly construed, section 22(2)(e) does not permit the use of land for the grazing of horses unless those horses are themselves being used for agricultural purposes. If you have, for instance, a carthorse, you could graze that on the land assuming that the carthorse would be used for agricultural purposes, although one can of course use carthorses for other purposes. On the other hand, horses which are used purely for recreational purposes are not, he submits, within the definition. If you read the definition literally that clearly is not correct. But Mr Latham relies heavily upon the decision of this court in Belmont Farm Ltd v Minister of Housing and Local Government (1962) 13 P & CR 417.
In that case this court was concerned with a different limb of the definition, namely, the words “keeping of livestock” with its parenthetical qualification relating to creatures kept for the production of food, wool, skins or fur, or for the purpose of its use in the farming of land. This court held that, taking account of that parenthesis, the words “keeping of livestock” had to be restrictively construed and did not cover the keeping of horses for purposes other than agricultural purposes. In Mr Latham's submission, the same approach should be adopted in relation to the words “use of land as grazing land”.
For my part, I see no reason why the words should be construed restrictively in that way. There are no qualifying words such as exist in relation to the words “keeping of livestock”. There are no such qualifying words as exist at the end of the definition in relation to the use of land or woodlands. It is thus quite clear that, if Parliament had intended to qualify the apparent width of the words “use of land as grazing land”, it could have done so, and I see absolutely no reason why we should imply any such limitation.
The whole of the decision in the Belmont Farm case, as appears from the judgment of Lord Parker CJ, turned upon the qualifying words and what was to be implied from them. There is nothing, as I see it, in that judgment which would have any application to the words with which we are concerned. Accordingly I would give them their natural meaning. As it seems to me, faced with the inspector's conclusion of fact that this land — the Underwoods' land — was used for the grazing of horses, the Secretary of State's decision was wholly correct.
The form of the notice of appeal does not permit Mr Latham to attack the findings of fact, and indeed he might have had some difficulties in view of the semi-sacrosanct nature of findings of fact in this field. But it is, I think, fair to say that the Underwoods may perhaps have been fortunate in their findings of fact in this case because it is not, as I see it, every grazing of land by horses which enables an owner of land to say that he does not need planning
[1981] 1 EGLR 137 at 139
permission. Section 22(2)(e) says in terms that what is permitted is the use of the land, and I substitute the relevant part of the definition, for the purposes of using that land as grazing land. The concept of there being more than one cause or more than one purpose is well known to the law.
What an inspector in these circumstances has to decide is: what was the purpose — and I stress the word “the” — for which the land is being used? If horses are simply turned out on to the land with a view to feeding them from the land, clearly the land is being used for grazing. But if horses are being kept on the land and are being fed wholly or primarily by other means so that such grazing as they do is completely incidental and perhaps achieved merely because there are no convenient ways of stopping them doing it, then plainly the land is not being used for grazing but merely being used for keeping the animals. On the other hand, of course, if the animals are put on to a field with a view to their grazing and are kept there for 24 hours a day, seven days a week over a period, it would not, I would have thought, be possible to say that as they were being kept there, they were not being grazed. It is quite possible for horses to be both grazed and kept in the same place.
The predominant question here is: what use was being made of the land? Was it for the purpose of grazing? I do not find any particular difficulty in deciding what is a predominant use. To take an example which I mentioned in argument, if somebody goes to a restaurant and smokes after the meal they do not go to the
restaurant in order to smoke; they go for the meal. There is no difficulty about that. I cannot see any difficulty in most cases in recognising whether the land is being used for grazing or for the keeping of non-agricultural horses. It is only if it is being used for the purpose of grazing that no planning permission is required.
Let me now turn to the second problem, which arises out of the fact that in the case of the Underwoods' enforcement notice they were required to desist from using the land as "a horse paddock", and in the case of Mr Sykes' enforcement notice he was required to desist from using the land as "a paddock". It is unnecessary to say anything about the Underwoods' case since, as I have already said, I would support the Secretary of State's decision in allowing the appeal. Therefore that notice is dead. But as far as the Sykes' notice is concerned, it is crucial because this is the only ground upon which he can have the Secretary of State's decision set aside.
For my part, I think that he is entitled to have it set aside. I say that for this reason. Section 87(6) of the Act provides:
An enforcement notice shall specify — (a) the matters alleged to constitute a breach of planning control; (b) the steps required by the authority to be taken in order to remedy the breach ...
It follows from that, and indeed there is ample authority to support the proposition, that there must be a clear indication to the addressee of the notice as to what it is that he is doing wrong and what he must do in order to stop doing it. Both those propositions call for some clarity of expression on the part of those who prepare the enforcement notice. To require somebody to stop using land as a paddock seems to me to be wholly lacking in any clarity whatever. It is open, to start with, to the comment that you do not use land as a paddock; it either is or is not a paddock. A paddock is not a concept of use at all; it is a concept perhaps of enclosure. But Mr Brown says that in this context it must mean "for the keeping of horses". It seemed to me that it could equally well mean "for the grazing of horses", which is not a breach of planning control at all. It is a thoroughly unsatisfactory term, and as it is ambiguous as well as being unsatisfactory I think that the section is not complied with. In the case of Mr Sykes' appeal, too, I would allow the appeal and remit the matter to the Secretary of State for further consideration.
Agreeing, KILNER BROWN J said: With regard to the question of principle which this court was asked to consider, it seems to me that in this situation, as we are told and it may well be so, there is growing anxiety felt by a number of local authorities as to the proliferation of small areas of land used for the purpose either of keeping horses for recreational purposes or alternatively for using them for schooling or for teaching young riders, particularly in the more difficult art of show jumping and performing in gymkhanas. But in the end it is always a question of common sense. I would have thought that planning officers in the first place should apply the sort of test which my Lord has indicated and to see really what is the land used for, and, as Mr Brown for the Secretary of State rightly said, you look to see what is its substantial use. It is easy enough to detect the situation where a piece of land — a paddock, a small meadow, call it what you like — is simply used for the purpose of schooling horses or training young riders. The amount of grazing which occurs on that land is merely incidental while each horse and rider is waiting his or her turn to be trained. On the other hand, there may be, as the inspector found in the case of the Underwoods, normally speaking a degree of actual and substantial grazing which was carried out.
Again I would deprecate the use of reference to authorities such as those which were cited before the inspector. In view of the judgment given by my Lord, I would hope that henceforth inspectors and planning officers would be able to approach the growing problem using their common sense, assessing each situation upon the facts as they appear to be. Having said that, I agree with the judgment of my Lord.
The appeal by Mr Sykes was allowed with costs against the district council. The appeal by the district council against the Secretary of State and others was dismissed with costs.
EXHIBIT F
Caution: This email is from an external sender. Please take care before opening any attachments or following any links.
Dear Sirs
I am writing to object to the above planning application for the reasons mentioned below.
The access lane to the field opens onto a busy main road which is a Freeway with no stopping or parking allowed. This is a busy main road supporting the south of the Island. It is a very busy road and to have the lane used by horses, lorries, farming equipment, tractors, bailers and cars are very dangerous and not something that it has previously been used for. There is not sufficient visibility from the lane when pulling out and there are no visibility splays to justify the proposed increased traffic on this lane. There is a petrol station facing the lane that has cars exiting and turning in from the main road facing this lane. Last year the access lane was a small grassy path with foliage, this has now been cleared of all foliage and covered with hardstanding. The field is landlocked except for this lane so this is the only way in and out of the field. Bridget Simcock never took her horse from the field as it was too dangerous to exit onto the main road. I am not aware of planning being applied for the works that have been carried out to the lane. I have not seen a yellow planning notice advising that an application was being made to put hard standing on the land and to my knowledge it does not have planning permission.
With the two barns being applied for My concern is that there will be over use of the field and the intended hard standing at the top of the lane would indicate that this would be used to park vehicles which would be regularly accessing the field from the main road. I object to there being hardstanding for the parking of vehicles which could include lorries and other commercial vehicles which would be parked at the back of our houses. This is a residential area and a parking area should not be allowed behind peoples houses.
Bridget had owned the field for many years before I bought the property, and I never had any issues with her care of her animals. When I first purchased the property there was only one horse on the field. It was only in the last 5 years or so that geese and sheep have appeared on the field. The geese have been a nuisance with their constant noise and should not have been put on a field that backs onto many houses in what is a residential area. Bridget has looked after the field for many years by the way of animal management and has done fine with it. Two large barns are certainly not needed to provide shelter for a pony.
Bridget has also recently been buried in the field and I since obtaining her last will. It is clear that her last wishes were to be buried in the field with her animals that were left at the date of her death. Bridget has one pony left in the care of the estate and that ponny has survived with a field shelter. A stable block is not only unnecessary but completely against the wishes of the lady who left the field in the estate. She would like it made into a woodland and would be horrified if it was to be turned into an agricultural site. Once
Bridget's last remaining animal has died and been buried with her, her wishes are that the money left is handed out to charities that she was passionate about. Nowhere in her last will does it say to use the money to build barns.
The field is 4 acres in total. The British Horse Society recommends that each horse should have 1-1 1/2 acres per horse. Sheep should have an acre and the geese on the plans, have their own field. Therefore for the horses and sheep you need at least 5 acres. This field is not big enough to support all of those animals and the two huge barns and the hardstanding areas and this is overdevelopment and overuse of what is essentially a small field backing on to residential houses. In order to look after 4 acres in total you might need a quad bike and a harrow absolutely no need to have all that other machinery so therefore there is no need to house it. Again I go back to my original objection when this was first applied for that there are other reasons that this planning application is being applied for.
The structure that they are referring to as being in the field, is in fact a field shelter being three sides with one side open for animals to use when they need to and not a large barn. I am concerned at the size of the barns that they are proposing to put in the field as it is some 9 times the size of the field shelter already there. As the field was previously only used for a horse and some sheep I must conclude that the two barns are to be used for other reasons such as storing farm machinery and vehicles which again is unnecessary.
Also since the last application the field shelter that is already in the field has been left in disrepair proving the pony does not need the shelter nor has anyone had concerns to put the shelter back up up for the welfare of the pony. Therefore I would say that the last remaining pony does not need a stable and as it is not ridden it certainly does not need a tack room.
These are my reasons for objections.
Kind regards
Caution: This email is from an external sender. Please take care before opening any attachments or following any links.
Planning objection 24/91021/B
I also want to draw your attention to the attached objection letter from Bridget dated 10 April 2020. Where she is worried about the safe exit and entry access to the lane. She states that any access to this lane is a two person job. This lane is not designed to be frequently used or have heavy machinery coming in and out of it.
Please feel free to look at our planning application 2000315B where the highways have addressed issues of the safe flow of traffic onto the A5 from our houses and the lane access to this field.
Kind regards
On Thu, 19 Jan 2023 at 09:20, Stewart, Helen <[email protected]> wrote:
Good Morning,
Thank you for your email. Can you please send me your full postal address for the file.
Kind regards,
Helen
Isle of Man. Giving you freedom to flourish
WARNING: This email message and any false transmitted with it are confidential and may be subject to legal privilege. You must not copy or deliver it to any other person or use the contents of any unauthorized member without the express permission of the sender. If you are not the intended addressee of this email, please delete it and notify the sender as soon as possible.
No employee or agent is authorized to conclude any binding agreement on behalf of any of the Departments or Statutory Boards of the Isle of Man Government with any party by e-mail without express written confirmation by a Manager of the relevant Department or Statutory Board.
FAALS: If pre-a-adjagh un gnag/erought post-i shah shammah's coadanyh erbee curat mariah as to shoh noadd eo y teigh. Cha nhegin diu onmat ny cur nh do petegh erbee eilny ny ymmyday ye shon'd t'ayn et aghl erbee dyn kled leeyn wih'n choyrtagh. Mounagh nee shiu yn emnynsagh illarif jari'n phast-i shoh, dali-chit, magh eh, my saffiu, as cor-chit. Iye de'n choyrtagh cha lnah ko oridys shiu.
Cha nal kled murih da falkoytagh ny jartagh erbee sonagm'y yarmoo rish petegh ny possan erbee lash post-i or son Rheynn ny finayet.</[email protected]>
Forwarded message
From:
To: "Stewart, Helen" <[email protected]>
Cc:
Bcc:
Date: Wed, 18 Jan 2023 22:10:11 +0000 Subject: Re: Planning Application - Field 434087 Ballasalla 22/01433/B Caution: This email is from an external sender. Please take care before opening any attachments or following any links.
Dear Helen
I refer to our telephone conversation yesterday regarding application 22/01433. My name is [redacted] and I own the house known as the Willows. [redacted] own the house next door called The Oaks.
Firstly, can I start by making you aware that the yellow planning notice was actually put up at the top of the lane in such a position that no one could see it from the road or the surrounding houses. I was only made aware of this from a worried neighbour yesterday.
The access lane to the field opens onto a busy main road which is a Freeway with no stopping or parking allowed. This is a busy main road supporting the south of the Island. It is a very busy road and to have the lane used by horses, lorries, farming equipment, tractors, bailers and cars is very dangerous and not something that it has previously been used for. There is not sufficient visibility from the lane when pulling out and there are no visibility splays to justify the proposed increased traffic on this lane. There is a petrol station facing the lane that has cars exiting and turning in from the main road facing this lane. Last year the access lane was a small grassy path with foliage, this has now been cleared of all foliage and covered with hardstanding. The field is landlocked except for this lane so this is the only way in and out of the field. Bridget Simcock never took her horse from the field as it was too dangerous to exit onto the main road. I am not aware of planning being applied for the works that have been carried out to the lane. I have not seen a yellow planning notice advising that an application was being made to put hard standing on the land and to my knowledge it does not have planning permission.
My concern is that there will be over use of the field and the intended hard standing at the top of the lane would indicate that this would be used to park vehicles which would be regularly accessing the field from the main road. I object to there being hardstanding for the parking of vehicles which could include lorries and other commercial vehicles which would be parked at the back of our houses. This is a residential area and a parking area should not be allowed behind peoples houses.
Bridget had owned the field for many years before I bought the property, and I never had any issues with her care of her animals. When I first purchased the property there was only one horse on the field. It was only in the last 5 years or so that geese and sheep have appeared on the field. The geese have been a nuisance with their constant noise and should not have been put on a field that backs onto many houses in what is a residential area.
Bridget has also recently been buried in the field and I would be very surprised if her wishes were to have the field so overdeveloped.
The field is 4 acres in total. The British Horse Society recommends that each horse should</[email protected]>
have 1-1 1/2 acres per horse. Sheep should have an acre and the geese on the plans, have their own field. Therefore for the horses and sheep you need at least 5 acres. This field is not big enough to support all of those animals and the huge barn and the hardstanding areas and this is overdevelopment and overuse of what is essentially a small field backing on to residential houses.
The structure that they are referring to as being in the field, is in fact a field shelter being three sides with one side open for animals to use when they need to and not a large barn. I am concerned at the size the barn that they are proposing to put in the field as it is some 9 times the size of the field shelter already there. As the field was previously only used for a horse and some sheep I must conclude that the barn is to be used for other reasons such as storing farm machinery and vehicles.
These are my reasons for objections.
Kind regards
[Redacted]
On Tue, Jan 17, 2023 at 4:14 PM Stewart, Helen <[email protected]> wrote:
Good afternoon,
Please see here the link to the online planning application documents:-
https://services.gov.im/planningapplication/services/planning/planningapplicationdetails.iom?ApplicationReferenceNumber=22%2F01433%2FB
You may still write in with a comment as this has not been decided yet and this will be accepted at the discretion of the case officer.
Please write to [email protected] with your comments as soon as you practically can quoting the planning application number. I have attached guidance to help you with your comment.
If you need any further information, please let me know.
Kind regards,
Helen</[email protected]>
Ms Helen Stewart Technical and Customer Support Officer Planning & Building Control Directorate Department of Environment, Food & Agriculture (DEFA)
Murray House
Mount Havelock
Douglas
Isle of Man
IM1 2SF
Tel. 01624 685950 Email [email protected]
To be kept up-to-date on changes to the planning service, sign up to our mailing list by sending your request (including contact details) to [email protected]
Any views expressed in this email are those of the officer only and are without prejudice to any formal decision made under the provisions of the Town and Country Planning Act 1999 and any relevant secondary legislation
WARNING: This email message and any files transmitted with it are confidential and may be subject to legal privilege. You must not copy or deliver it to any other person or use the contents in any unauthorised manner without the express permission of the sender. If you are not the intended addressee of this e-mail, please delete it and notify the sender as soon as possible.
No employee or agent is authorised to conclude any binding agreement on behalf of any of the Departments or Statutory Boards of the Isle of Man Government with any party by e-mail without express written confirmation by a Manager of the relevant Department or Statutory Board.
RAAUE: S'preevaadjagh yn chaghteraght post-l shoh chammah's coadany n erbee currit mansh as ta shoh coadit ec y leigh. Cha nhegin diu colpal ny cur eh da pelagh erbee elley ny ymmryley yn chooid t'ayn er aght erbee dyn kled leayr veih'n choyrtagh. Mannagh nee shiu yn enmyssagh klerit jeh'n phost-l shoh, doll-shiu magh eh, my sailliu, as cur-shiu fys da'n choyrtagh cha leah as oddys shiu.
Cha nel kled currit da failleydagh ny jantagh erbee conaant y yannoo rish pelagh ny possan erbee lesh post-l er son Rheynn ny Boayrd Slattyssagh erbee jeh Reiltys Ellan Vannin dyn co-niartaghey scruit leayr veih Reireyder y Rheynn ny Boayrd Slattyssagh t'eh bentyn rish.
1:200 Approved Site Plan
1:1250 Approved Location Plan
1:1250 Original Location Plan
1:1250 Alternative Location Plan
1:1250 Overlaid Location Plan





Copyright in submitted documents remains with their authors. Request removal
View as Markdown