Skip to content
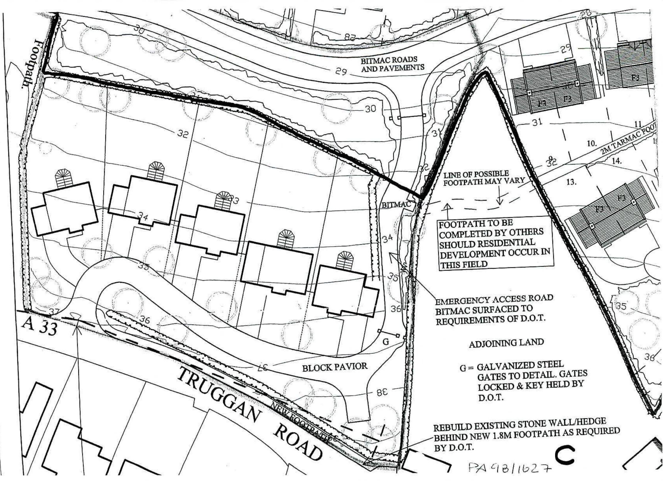
PA 04/02209/B Refusal Notice - 05/01549/B | Planning Portal IoM | Isle of Man Planning Portal