Loading document...
Page 2 of 14
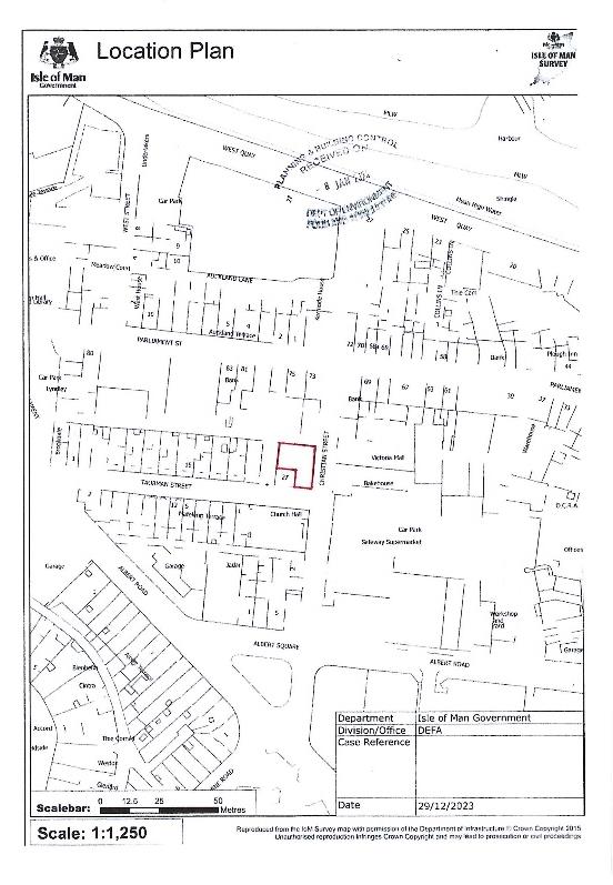
Manx BirdLife was instructed by Tim Goodliffe to carry out a visual survey of a building at 4 Christian Street in Ramsey for potential breeding birds and carry out a data search of the Manx BirdLife database for breeding birds records prior to the site being redeveloped. This is a condition of the approval of planning application 24/00025/B which was granted in August 2024.
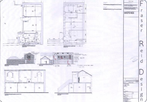
The building at 4 Christian street consists of one two storey converted barn. The building is currently undergoing renovations. The application is carry out renovations to the property including a new roof, new doors and windows, a new first floor access and steel staircase from ground floor courtyard as well as small ground floor extension at northern end. From the submitted plans, it would appear that the existing external walls are to be retained for the redevelopment.
The building has been sealed for some time, limiting access for any breeding birds.
The Isle of Man Wildlife Act 1990 (including 2004 amendments) is the primary legislation serving to protect the Island’s wildlife, including its wild birds. The Act sets out schedules of species of animal and plant that are protected by Manx law from injury or disturbance. The Act also establishes the legal protection of Areas of Special Scientific Interest and National Nature Reserves.
All birds and their nests are protected (cannot be killed, injured or taken), bar a few Schedule 2 species that can be shot in the open season. Once a wild bird has begun to build a nest, that nest is protected; it is an offence to take or destroy the nest, eggs or young of any wild bird.
Special penalties are available for offences related to Schedule 1 species, for which there are additional offences of disturbing these birds and their dependent young at or near their nests.
Page 3 of 14


The survey was carried out by Allison Leonard, Managing Director of Manx BirdLife. Allison has over 18 years of experience in ecological surveys, specialising in avian ecology.
The building is located at 4 Christian Street, Ramsey, IM8 1DG. Grid Ref SC453945 The site is made up of one two storey building accessed via a courtyard in front.
Page 4 of 14


A full visual survey of the exterior of the barn was carried out for any evidence of previous birds’ nests, binoculars were used to survey higher parts of the building. All areas of the interior of the barn were fully checked, visually, for evidence of breeding birds.
The Manx BirdLife database is the recognised repository for all bird data on the Isle of Man, holding over 8 million records dating from 1998 onwards.
A search of existing data held within database was carried out for the property and a 100m buffer area around the property.
Page 5 of 14
The survey of the buildings was carried out on Friday 6th September 2024. The weather was dry and sunny, visibility was good.
Exterior – Despite some potential areas for nesting birds, no evidence of any breeding birds was found. No active or old nests were seen on the building.
Interior – The interior of the property has been sealed for time so there is limited or no access to the interior for birds. There was no sign of any nesting activity inside the building
A total of 209 records were returned from the search of the database. Of these, there was one definite breeding record (a ringed plover that would have bred on foreshore of the nearby Sulby River) , 2 probable (starling and house sparrow) and 1 possible (pied wagtail)*. Both the probable and the possible breeding records are not recent. The remaining records are classed as ‘other’ so will cover records from outside the breeding season or where breeding status was not recorded at the time.
The majority of the records returned appear to be associated with the nearby Sulby river so are not relevant to this proposal (see appendix 1 for the full list of records returned).
No records were returned for the property.
*These definitions are based on the standard BTO list. A definite breeding record includes, but is not limited to, agitated adults, an apparently occupied nest, recently fledged young or adults holding territory, probably breeding records includes, but are not limited to a pair in suitable habitat, birds collecting or carrying nesting material or a singing male in suitable habitat and possible breeding records includes, but are not limited to, individuals seen in suitable habitat.
The timing of the survey meant the peak of the breeding season has passed so it was unlikely that any active nests would have been found.
While no evidence of breeding birds were found during the course of the survey, redevelopment of the building, in particular repointing the external brickwork, would result in the loss of suitable nesting areas for species like house sparrow, however, this impact is likely to be negligible and can be mitigated for.
Overall, as with most buildings of this type, there is potential for breeding birds (in fact, the owner did mention that house sparrows have been seen ‘prospecting’ nesting sites within the brick work on the gable end of the building) but no evidence was found of any breeding birds at the property.
Page 6 of 14
• If it is not possible to work outside of the breeding season, a full site check should carried out for nesting birds before any work commences and regular monitoring should be carried out. If any signs of active nests i.e. a nest which has been built up and contains either eggs or chicks then work should halt until the nest is no longer in use.
Swallows and other hirundines such as house martin, construct small, cupped shaped nests of mud lined with grass and feathers. The nests are typically built on horizontal structures such as beams but can sometimes be fixed to rough vertical surfaces within agricultural buildings. Swallows are known to be site faithful and will return to the same nest site year after year so the loss of the existing nest sites can be mitigated by the installation of artificial nest cups, which swallows will take to readily. Swallows are social birds, but nest cups should not be placed too close together. They should be
placed at least 6cm from the top of the building and birds should have constant access to them throughout the breeding season.
Swift nest boxes can be placed on any aspect of a building, but it is important to avoid locations receiving full, direct sunlight for most of the day, to avoid chicks overheating. East, West or North aspects are all fine. If the box must face South, please ensure it is shaded from the summer sun (May to July inclusive) under wide eaves, or equivalent. It is best to avoid placing above doors and windows. You should allow a minimum 5m clear drop beneath and in front of the box and maintain a clear flight path to the nest by
locating away from large mature trees and shrubs or those likely to become large in the future.
Swift bricks can be installed when creating brickwork instead of a standard brick. You can use them in blockwork or brickwork walls, ideally as the top course, or placed high in gables, flank walls and ends of terraces. If you have enough space, you can make patterns from these bricks. Try and space them from 50cm to 100cm apart.
Bird Houses & Nesting Boxes for Wild Birds - RSPB Shop Birds of Conservation Concern in the Isle of Man 2021 - Manx BirdLife
Page 7 of 14

Survey Type Km1Sq Date Species Br Status SixFigRef Count UKBrdCsvCcn IreBrdCsvCcn MnxBrdCsvCcn ManxSchd1 Supplementary SC4594 30/06/2021 Ringed Plover Definite 454945 2 Red Amber Amber Yes Consultative Surveys SC4594 24/06/2008 Pied Wagtail Possible 454945 1 Green Green Green No Casual SC4594 11/04/1999 Starling Probable 455945 1 Red Amber Amber Yes 1km timed SC4594 25/06/2002 House Sparrow Probable 454944 1 Red Amber Amber Yes
Supplementary SC4594 04/04/2011 Alpine Swift Other 454943 1 Green Green Green No MBL Recent Reports Web Page SC4594
14/03/2012
Black Redstart Other 454943 1 Amber Green Amber Yes Supplementary SC4594 22/02/2014 Little Egret Other 455945 1 Green Green Amber Yes Supplementary SC4594 04/03/2014 Herring Gull Other 455945 10 Red Amber Red No Supplementary SC4594 04/03/2014 Redshank Other 455945 8 Amber Red Red No
Supplementary SC4594 05/03/2014 Redshank Other 455945 6 Amber Red Red No
Supplementary SC4594 16/12/2014 Kingfisher Other 455945 1 Amber Amber Red Yes Supplementary SC4594 16/12/2014 Kingfisher Other 455945 1 Amber Amber Red Yes Supplementary SC4594 17/12/2014 Kingfisher Other 455945 1 Amber Amber Red Yes
Supplementary SC4594 17/01/2015 Little Egret Other 455945 1 Green Green Amber Yes
Page 2 of 14
Supplementary SC4594 30/04/2015 Blackcap Other 455945 3 Green Green Green No Supplementary SC4594 30/04/2015 Turnstone Other 455945 2 Amber Amber Amber No Supplementary SC4594 09/05/2015 Mallard Other 455945 6 Amber Amber Amber No Supplementary SC4594 09/05/2015 Canada Goose Other 455945 2 Green Green Green Yes Supplementary SC4594 09/05/2015 Mute Swan Other 455945 3 Green Amber Amber No
Page 3 of 14
Supplementary SC4594 21/10/2015 Mute Swan Other 455945 17 Green Amber Amber No Supplementary SC4594 23/10/2015 Redshank Other 455945 1 Amber Red Red No Supplementary SC4594 26/10/2015 Redwing Other 455945 1 Amber Red Red No
Supplementary SC4594 01/12/2015 Mute Swan Other 455945 22 Green Amber Amber No Supplementary SC4594 10/12/2015 Herring Gull Other 455945 1 Red Amber Red No
Page 4 of 14
Supplementary SC4594 06/01/2016 Mute Swan Other 455945 20 Green Amber Amber No Supplementary SC4594 06/01/2016 Canada Goose Other 455945 55 Green Green Green Yes
Page 5 of 14
Garden Birdwatch SC4594 28/08/2016 Magpie Other 455945 2 Green Green Green No Garden Birdwatch SC4594 28/08/2016 Jackdaw Other 455945 1 Green Green Green No Garden Birdwatch SC4594 28/08/2016 Hooded Crow Other 455945 2 Green Green Green No Garden Birdwatch SC4594 28/08/2016 Collared Dove Other 455945 1 Green Green Green No Garden Birdwatch SC4594 28/08/2016 Greenfinch Other 455945 3 Red Amber Amber No Garden Birdwatch SC4594 28/08/2016 Starling Other 455945 3 Red Amber Amber Yes Garden Birdwatch SC4594 28/08/2016 House Sparrow Other 455945 15 Red Amber Amber Yes Garden Birdwatch SC4594 28/08/2016 Blue Tit Other 455945 3 Green Green Green No Garden Birdwatch SC4594 04/09/2016 Blackbird Other 455945 4 Green Green Green No Garden Birdwatch SC4594 04/09/2016 Magpie Other 455945 2 Green Green Green No Garden Birdwatch SC4594 04/09/2016 Jackdaw Other 455945 1 Green Green Green No Garden Birdwatch SC4594 04/09/2016 Hooded Crow Other 455945 2 Green Green Green No Garden Birdwatch SC4594 04/09/2016 Collared Dove Other 455945 1 Green Green Green No Garden Birdwatch SC4594 04/09/2016 Greenfinch Other 455945 3 Red Amber Amber No Garden Birdwatch SC4594 04/09/2016 Starling Other 455945 3 Red Amber Amber Yes Garden Birdwatch SC4594 04/09/2016 Blue Tit Other 455945 3 Green Green Green No Garden Birdwatch SC4594 04/09/2016 Robin Other 455945 4 Green Green Green No Garden Birdwatch SC4594 04/09/2016 House Sparrow Other 455945 15 Red Amber Amber Yes Garden Birdwatch SC4594 11/09/2016 Starling Other 455945 3 Red Amber Amber Yes Garden Birdwatch SC4594 11/09/2016 Magpie Other 455945 2 Green Green Green No Garden Birdwatch SC4594 11/09/2016 Jackdaw Other 455945 1 Green Green Green No Garden Birdwatch SC4594 11/09/2016 Hooded Crow Other 455945 2 Green Green Green No Garden Birdwatch SC4594 11/09/2016 Collared Dove Other 455945 1 Green Green Green No Garden Birdwatch SC4594 11/09/2016 Greenfinch Other 455945 3 Red Amber Amber No Garden Birdwatch SC4594 11/09/2016 Blackbird Other 455945 4 Green Green Green No Garden Birdwatch SC4594 11/09/2016 House Sparrow Other 455945 15 Red Amber Amber Yes Garden Birdwatch SC4594 11/09/2016 Blue Tit Other 455945 5 Green Green Green No Garden Birdwatch SC4594 11/09/2016 Robin Other 455945 4 Green Green Green No Garden Birdwatch SC4594 18/09/2016 Greenfinch Other 455945 3 Red Amber Amber No Garden Birdwatch SC4594 18/09/2016 Magpie Other 455945 2 Green Green Green No Garden Birdwatch SC4594 18/09/2016 Jackdaw Other 455945 1 Green Green Green No Garden Birdwatch SC4594 18/09/2016 Collared Dove Other 455945 1 Green Green Green No
Page 6 of 14
Garden Birdwatch SC4594 18/09/2016 House Sparrow Other 455945 15 Red Amber Amber Yes Garden Birdwatch SC4594 18/09/2016 Blue Tit Other 455945 5 Green Green Green No Garden Birdwatch SC4594 18/09/2016 Blackbird Other 455945 4 Green Green Green No Garden Birdwatch SC4594 18/09/2016 Robin Other 455945 4 Green Green Green No Garden Birdwatch SC4594 18/09/2016 Hooded Crow Other 455945 2 Green Green Green No Garden Birdwatch SC4594 25/09/2016 Greenfinch Other 455945 3 Red Amber Amber No Garden Birdwatch SC4594 25/09/2016 House Sparrow Other 455945 15 Red Amber Amber Yes Garden Birdwatch SC4594 25/09/2016 Blue Tit Other 455945 5 Green Green Green No Garden Birdwatch SC4594 25/09/2016 Blackbird Other 455945 4 Green Green Green No Garden Birdwatch SC4594 25/09/2016 Robin Other 455945 4 Green Green Green No Garden Birdwatch SC4594 25/09/2016 Collared Dove Other 455945 1 Green Green Green No Garden Birdwatch SC4594 25/09/2016 Hooded Crow Other 455945 2 Green Green Green No Garden Birdwatch SC4594 25/09/2016 Magpie Other 455945 2 Green Green Green No Garden Birdwatch SC4594 25/09/2016 Jackdaw Other 455945 1 Green Green Green No BirdTrack SC4594 04/01/2017 Waxwing Other 455945 58 Green Green Green No BirdTrack SC4594 04/01/2017 Waxwing Other 455945 58 Green Green Green No BirdTrack SC4594 07/01/2017 Waxwing Other 455945 2 Green Green Green No BirdTrack SC4594 07/01/2017 Waxwing Other 455945 2 Green Green Green No Supplementary SC4594 09/07/2017 Swift Other 454944 5 Red Red Amber Yes Supplementary SC4594 25/12/2017 Blackcap Other 454944 1 Green Green Green No Supplementary SC4594 25/12/2017 Little Egret Other 454945 1 Green Green Amber Yes Supplementary SC4594 19/05/2018 Swift Other 455944 4 Red Red Amber Yes Supplementary SC4594 25/12/2019 Sanderling Other 455945 1 Amber Green Amber No Supplementary SC4594 30/06/2021 House Sparrow Other 454945 2 Red Amber Amber Yes Supplementary SC4594 30/06/2021 Herring Gull Other 454945 1 Red Amber Red No
Page 7 of 14
Copyright in submitted documents remains with their authors. Request removal
View as Markdown