An aerial site location map highlighting a specific property in orange along the A7 Main Road, showing nearby fields and directional signs.
The application site sits along the A7 Port Erin to Ballasalla Main Road on the western outskirts of the Village of Colby. Colby is characterised as a linear settlement which follows the main road. The majority of these dwellings face onto the main road. There are many 'Manx Vernacular' dwellings in the Colby area many of them traditional manx stone terraced houses.
The other dwellings in the area tend to be early to mid 20th Century bungalows or semi-detached houses along the roadside, with a few more recent infill dwellings.
The dwellings which don't face onto the main road tend to be in more modern developments built in the last 30 years.
Miranda Cottage is sited along the main road, with its side gable facing onto the road. The principal elevation faces down the garden.
An aerial site plan highlighting the proposed development site in red, with annotations indicating views over the garden and farmland towards the coast.
The proposed extension to Miranda Cottage is located at the side of the main dwelling. This location is away from the main road; this reduces the impact of the extension on the street scene. The extension is placed to take full advantage of the fantastic views towards the coast across the fields to the south. This location also allows views down the garden. The extension is located on the side garden, which at present isn't utilized. The porch extension to the front elevation is kept small and a single storey to reduce its impact. The extensions have little to no effect on the neighboring dwellings. To the east is a large garage and driveway between the dwelling and the extension. To the east is the large front garden between the extension and the neighboring dwelling (over 30m).
Floor area calculations
Existing dwelling floor area: 141 Sq m.
Proposed extensions floor area: 72 Sq m.
Percentage: 51%
Design Concept
Architectural elevation and cross-section drawings illustrating a proposed two-storey house extension with modern glazing and stone cladding.
The design concept is to provide a modern living environment while retaining an existing Manx Vernacular dwelling, without detracting from the original cottage's beauty and form.
This is achieved by;
Extending to the side of the existing cottage, as far away from the roadside as possible.
Stepping the extensions back on each side of the existing cottage and the ridge line down to make the extension look subordinate.
Replicating the 'Manx Vernacular' form and proportion for the extension, with modern forms hidden from public view.
The first floor venestration visible from the road matches that of the existing cottage. The ground floor windows are hidden due to the step down from the road and large boundary wall/hedge.
Use of traditional Manx stone for the ground floor gives the design a base, while the grey painted render or timber cladding allowed to weather naturally, visually separates the old from the new.
The south facing elevation incorporates a first floor glazed gable and balcony, this is protected from casuing any potential overlooking with the continuation of the cavity wall to the eastern elevation. This gable and balcony allows the dwelling to make best use of the fantastic views.
The new porch is kept small and in a traditional form and materials, but with modern glazing to reduce its impact on the main dwelling.
The image shows a modern two-storey extension with vertical timber cladding and a stone base attached to an existing white residential building.
Costswold Bungalow by Charlie Luxton Design {{image:152352}}
Tullynagee House by Patrick Bradley Architects
Lochside House by HaysomWardMiller
Cotswold Cottage by Eastabrook Architects
Crofthouse by Patrick Bradley Architects
Lochside Studio by HaysomWardMiller
8. Design Ideas
The design concept behind our scheme is influenced by utilising traditional, natural materials, in a traditional form, but a contemporary style.
Charlie Luxton has used a stone base with timber above in a traditional gable form tweaked to look more contemporary.
Eastabrook Architects have replicated the traditional form but utilised contrasting materials to allow the extension and existing house to be viewed individually and complement each other.
Patrick Bradley Architects use a contrast of materials to allow each element of their work to be viewed on its own. The use of two contrasting materials on their work breaks up the form and provides a base. Tullynagee House has a natural stone base and a dark first floor to help break up the form. Crofthouse is an extension which follows the form of the existing dwelling, with the main contemporary elements hidden from view as you approach the dwelling with a high hedge.
Lochside House \& Studio are RIBA award winning projects which use a natural stone and timber cladding to break up larger forms, provide a base and nod to the traditional vernacular architecture of the area.
We have utilised these ideas to produce what we feel is a contemporary extension which does not detract from the existing Manx Vernacular Miranda Cottage.
A photograph showing the exterior of a modern residential property with vertical timber cladding and stone walls, featuring a gravel courtyard and illuminated windows at dusk.A low-resolution image depicting a large building with a stone-clad lower section and a dark upper section, situated in a rural setting with trees.A photograph showing a rural building, likely a barn conversion, featuring a modern extension with solar panels on the roof.A photograph showing a traditional stone building adjacent to a modern, dark-clad structure with a steep pitched roof.
Photo Legend
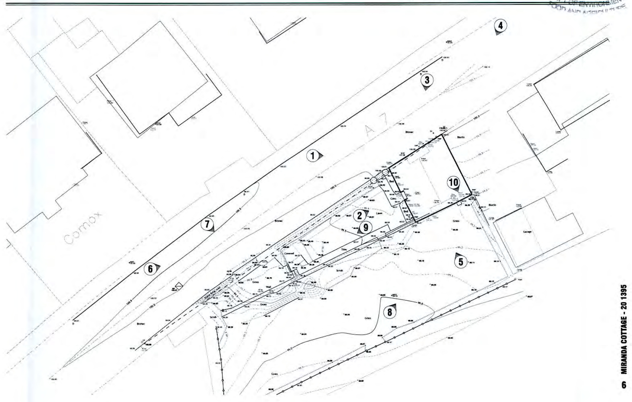
A black and white site plan showing the property boundary, road A7, surrounding buildings, and topographical contours with numbered callouts.
redacted
Alterations and extensions to 'Miranda Cottage', Main Road, Colby.
DATE April 2020
JOB No
Existing cottage from main road Existing pedestrian access
1
A street-level photograph showing the existing two-storey stone dwelling with a slate roof and chimneys, situated next to a white building.
redacted Alterations and extensions to 'Miranda Cottage', Main Road, Colby.
DATE April 2020 JOB No
South west elevation 2
A photograph of a two-story stone house with a slate roof and sash windows, featuring a hedge and utility boxes in the foreground.A photograph showing the existing two-story stone dwelling, specifically the south-west elevation, featuring a slate roof, chimneys, and surrounding hedges.A fragment of an architectural drawing showing a horizontal line with small rectangular markings, likely part of a floor plan or elevation detail.A close-up photograph showing the corner of a stone building with a gutter and roofline against a cloudy sky.A photograph showing a white single-storey structure on the left with a car parked in front, adjacent to a stone wall of an existing building on the right, with a rural field in the background.A close-up photograph of a rough stone wall featuring two white-framed windows and a yellow utility warning sign on a wooden post.A photograph showing an existing two-story stone house on a street corner with a white boundary wall and a parked van to the left.
redacted
Alterations and extensions to 'Miranda Cottage', Main Road, Colby.
DATE April 2020
JOB No
North east elevation
redacted Alterations and extensions to 'Miranda Cottage', Main Road, Colby.
DATE April 2020 JOB No
South east elevation Location of proposed extension
A photograph showing the exterior of a two-story stone house with a pitched roof and chimneys, likely the existing property for the planning application.
Building Pericular Access
A photograph of a stone dwelling on a rural road with text overlays explaining how boundary walls and hedging will screen a proposed extension.
Boundary Wall & Hedging Hirds
Ground Floor Of Dwelling And Extension From View
CLIENT | redacted --- | --- CONTRACT | Alterations and extensions to 'Miranda Cottage', Main Road, Colby. | DATE | April 2020 JOB NO | 20 1395 | View towards existing boundary from the main road
Existing Vehicular Access
A photograph showing the existing vehicular access point to the property, viewed from the road through a gap in the hedges.
Client
CONTRACT
Redacted
Alterations and extensions to 'Miranda Cottage', Main Road, Colby.
Date
JOB No
April 2020
20 1395
Existing vehicular access from main road
redacted Alterations and extensions to 'Miranda Cottage', Main Road, Colby.
DATE April 2020
JOB No
Existing side garden Location of proposed extension
8
A photograph of a stone house and a white garage building, annotated with text indicating the location of a proposed extension and neighboring parking.
redacted Alterations and extensions to 'Miranda Cottage', Main Road, Colby.
DATE April 2020 Existing front garden JOB No
A photograph showing a grassy rear garden area bordered by hedges, with a white single-story bungalow visible in the background.A photograph showing the existing front garden of a white bungalow with hedges and neighboring houses in the background.
Client
A photograph taken from inside a building looking out through a window frame at a green field and distant trees under a cloudy sky.
CONTRACT
Alterations and extensions to 'Miranda Cottage', Main Road, Colby.
DATE
April 2020
JOB No
20 1395
View from first floor windows looking south east access fields
Copyright in submitted documents remains with their authors. Request removal